Sign up
Log in
Results
View all 2 pictures
Size: 1.14 Acres
Type: Homesites

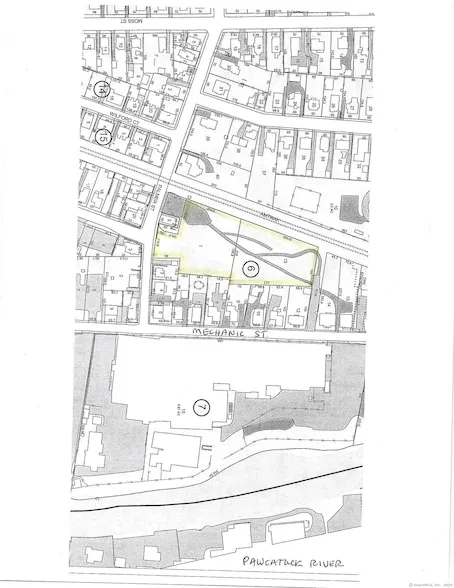
1.14 acres in New London County, CT

ATTENTION DEVELOPERS! Mixed use/residential 2 acre parcel in the high density PV-5 development zone. Perfect multi unit housing site!. Level, cleared, city water, sewer, gas available. Property is across from the Pawcatuck River within easy walking distance to downtown Pawcatuck and Westerly, RI. Adjacent to existing multi family units and a restaurant. This parcel being sold with adjoining 1.08 acre lot 65 Mechanic St, MLS#24068467

From elevation to risk assessment

Search for detailed parcel information including; Elevation & Vegetation Maps, Ownership Information, Detailed Parcel Information, Crop History Map, Soil Survey Productivity Data, and more.

Research Parcel Information

Directions

GPS Friendly

Contact Seller

Russ Real Estate

Pawcatuck, CT

(860) 288-9369

Randy Russ

Russ Real Estate
View Phone Number
By clicking the button, you agree to our Terms of Use and Privacy Policy.

Provided By

Russ Real Estate, (860) 288-9369
Source: Homes, MLS# 24068449
Listing last updated: November 19, 2025 at 11:59 AM
Listing last checked: November 19, 2025 at 6:01 AM
Report this listing

More by Randy Russ