Sign up
Log in
Results
View all 1 pictures
Size: 50 Acres

Is this your property? Sell it faster with premium placement and targeted ads.

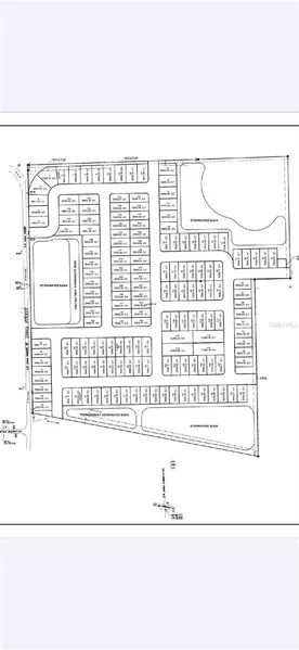
Land - NEWBERRY, FL

Shovel ready project. Prime residential Property located in the City of Newberry entitled to 180 single family lots.

Newberry is the hot spot of Alachua county with a new Publix Shopping center near by . Parcel consists of 50 +- acres.

Copyright © 2025 Stellar MLS. All rights reserved. All information provided by the listing agent/broker is deemed reliable but is not guaranteed and should be independently verified.

Read More

From elevation to risk assessment

Search for detailed parcel information including; Elevation & Vegetation Maps, Ownership Information, Detailed Parcel Information, Crop History Map, Soil Survey Productivity Data, and more.

Research Parcel Information
Contact Seller

FLORIDA HOMES REALTY & MORTGAGE GVILLE

License #3277553

Gainesville, FL

(352) 215-0131

Steven Ayoub

FLORIDA HOMES REALTY & MORTGAGE GVILLE
View Phone Number
By clicking the button, you agree to our Terms of Use and Privacy Policy.

Is this your property? Sell it faster with premium placement and targeted ads.