Sign up
Log in
Results
View all 5 pictures

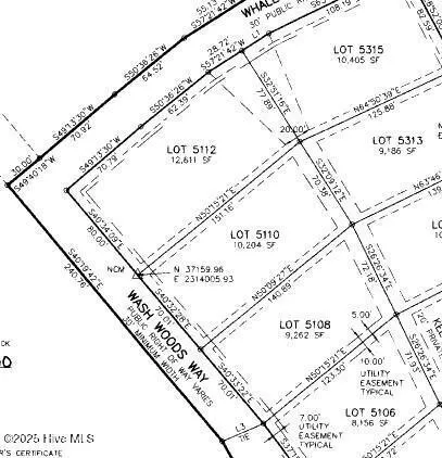
0.23 acres in Brunswick County, NC

High wooded homesite in Cape Fear Station on Bald Head Island. This south facing property is bathed in sunlight. Close proximity to East Beach, BHI Conservancy, Village Commons, and Mike's Bites. A refundable House (transfers as Lifestyle) BHI Club membership is available for separate purchase.

From elevation to risk assessment

Search for detailed parcel information including; Elevation & Vegetation Maps, Ownership Information, Detailed Parcel Information, Crop History Map, Soil Survey Productivity Data, and more.

Research Parcel Information

Directions

NBHW to Federal Road to SE Beach Dr. to Wash Woods

Contact Seller
Atlantic Realty Professionals, Inc

Bald Head Island, NC

(910) 983-8352

David Berne

Atlantic Realty Professionals, Inc
View Phone Number
By clicking the button, you agree to our Terms of Use and Privacy Policy.