Is this your property? Sell it faster with premium placement and targeted ads.
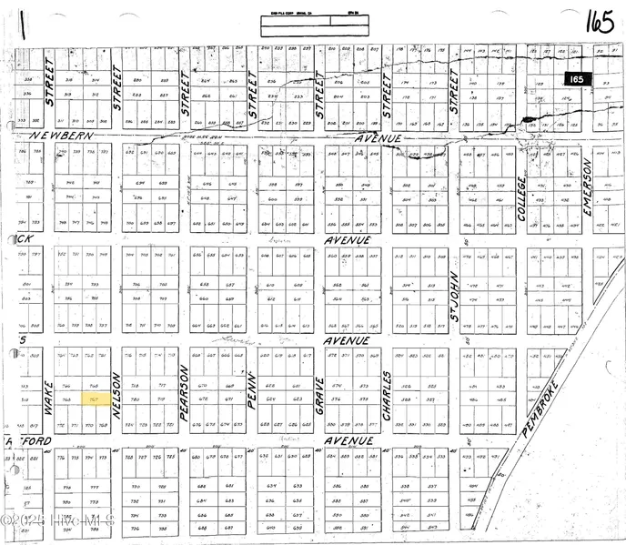
Opportunity awaits in the heart of historic Pembroke. Two adjacent residential lots—2204 and 2206 Nelson Street—offer a chance to own land in one of New Bern's most culturally significant neighborhoods. Pembroke traces its roots to the city's early expansion and has long been a symbol of community strength, heritage, and perseverance. The neighborhood's grid-like layout reflects early 20th-century Swiss planning, while the streets themselves hold generations of untold stories.
For the buyer with vision, these lots represent more than a real estate investment; they're a chance to contribute to the ongoing narrative of a place that matters. Whether your goal is thoughtful infill housing, a personal residence, or long-term holding, this location offers meaningful potential. The community comes together at the Pembroke Community Center, which hosts events for the neighborhood and larger New B...
For the buyer with vision, these lots represent more than a real estate investment; they're a chance to contribute to the ongoing narrative of a place that matters. Whether your goal is thoughtful infill housing, a personal residence, or long-term holding, this location offers meaningful potential. The community comes together at the Pembroke Community Center, which hosts events for the neighborhood and larger New Bern community.
Access to city utilities, close proximity to downtown New Bern, and a strong sense of place make these properties both practical and powerful. Be part of the next chapter in Pembroke—where honoring the past and investing in the future go hand in hand.
Copyright © 2025 Hive MLS / Coastal Plains Association of REALTORS. All rights reserved. All information provided by the listing agent/broker is deemed reliable but is not guaranteed and should be independently verified.
Search for detailed parcel information including; Elevation & Vegetation Maps, Ownership Information, Detailed Parcel Information, Crop History Map, Soil Survey Productivity Data, and more.
Research Parcel InformationIs this your property? Sell it faster with premium placement and targeted ads.