Sign up
Log in
Results
View all 1 pictures

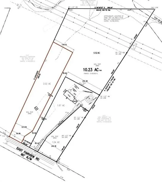
Unimproved Land - Stockbridge, GA

Build-Ready Wooded Lot – Permits & Site Work Complete!

This is your chance to own a beautiful wooded lot that’s prepped and ready for construction. This 2.02 Acre lot offers privacy, natural beauty, and unbeatable convenience for builders or future homeowners.

All the prep work is done for you:

Survey, soil test, and site plans professionally completed

Land Disturbance Permit (LDP) and Septic Permit in hand

Construction entrance and silt fencing already installed

Wooded landscape provides natural privacy and scenic surroundings

Shared driveway offers convenient access to the property

This lot is ideal for those seeking a turnkey build site in a quiet, natural setting. Whether you’re a developer or looking to build your dream home, this property offers a head start and a rare opportunity.

Copyright © 2025 First Multiple Listing Service, Inc. All rights reserved. All information provided by the lis...

Read More

From elevation to risk assessment

Search for detailed parcel information including; Elevation & Vegetation Maps, Ownership Information, Detailed Parcel Information, Crop History Map, Soil Survey Productivity Data, and more.

Research Parcel Information

Unlock the full LandWatch experience

Have an account?Sign In

Contact Seller

Virtual Properties

Duluth, GA

(678) 622-2958

Yaritza Lugo

Virtual Properties
View Phone Number
i
By clicking the button, you agree to our Terms of Use and Privacy Policy.

Provided By

Virtual Properties , (770) 495-5050
Source: ListHub, MLS# 7613266
Listing status: Pending
Listing last updated: July 18, 2025 at 2:32 AM
Listing last checked: October 10, 2025 at 7:30 AM
Report this listing

Other Land for Sale in Henry County