Sign up
Log in
Results
View all 1 pictures
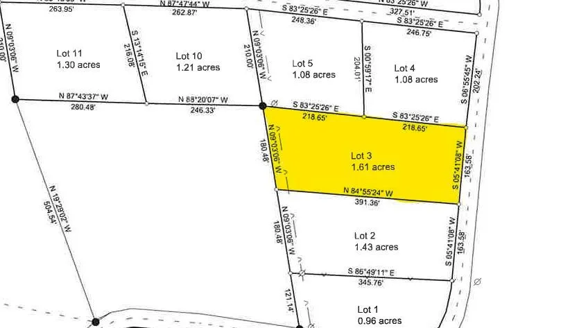
Size: 1.61 Acres
Type: Homesite

Is this your property? Sell it faster with premium placement and targeted ads.

Lot/Land - Fulton, MS

Fulton's newest development located just outside the city limits! 1+acre lots available. Covenants/Deed Restrictions. All info subject to verification. Agents see private remarks.

Copyright © 2026 Northeast Mississippi Board of Realtors. All rights reserved. All information provided by the listing agent/broker is deemed reliable but is not guaranteed and should be independently verified.

Read More

From elevation to risk assessment

Search for detailed parcel information including; Elevation & Vegetation Maps, Ownership Information, Detailed Parcel Information, Crop History Map, Soil Survey Productivity Data, and more.

Research Parcel Information
Contact Seller

TM REALTORS

License #S48856

TUPELO, MS

(662) 842-3844

Kevin Knight

TM REALTORS
View Phone Number
By clicking the button, you agree to our Terms of Use and Privacy Policy.

Is this your property? Sell it faster with premium placement and targeted ads.