Is this your property? Sell it faster with premium placement and targeted ads.
This 10-acre parcel is part of a 5-lot subdivision in Chiefland, Florida, and is currently moving through the formal subdivision plat approval process. Once complete, the lot will have a clear legal description and defined boundaries, making it ready for future development or long-term investment. The land is raw and undeveloped, offering a blank slate for a variety of uses. The topography includes a natural mix of terrain, giving flexibility for site planning, whether for a private homesite, recreational use, or simply holding as an asset. With only five lots in the subdivision, each parcel maintains space and privacy while still being part of a small, planned community. The quiet setting makes it appealing for those looking to build or invest outside of dense development, without being too far from town. Located in Chiefland, this property offers proximity to some of North Central Fl...
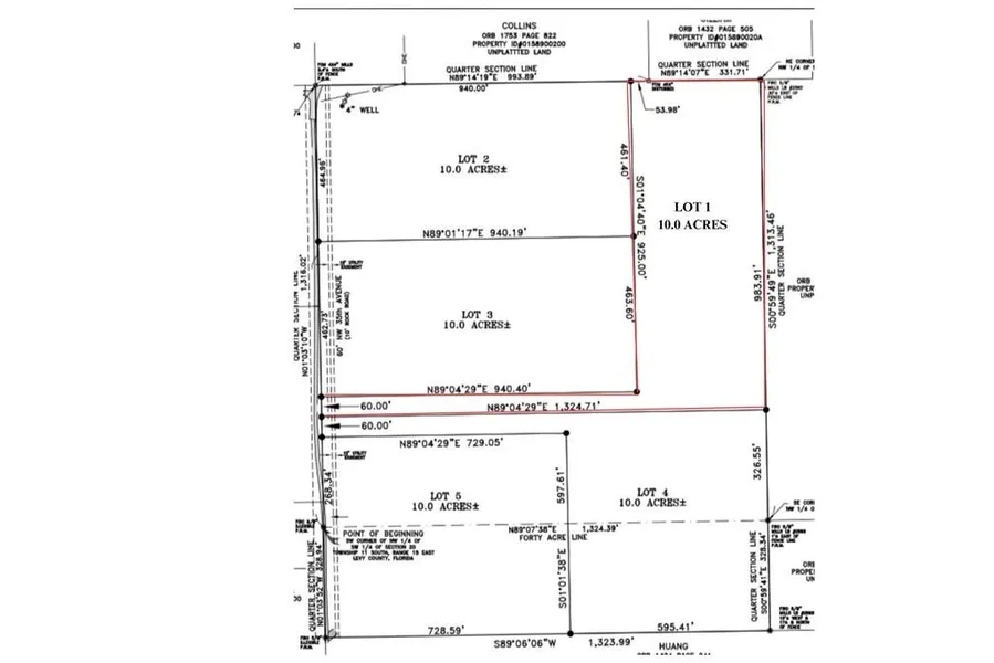
This 10-acre parcel is part of a 5-lot subdivision in Chiefland, Florida, and is currently moving through the formal subdivision plat approval process. Once complete, the lot will have a clear legal description and defined boundaries, making it ready for future development or long-term investment. The land is raw and undeveloped, offering a blank slate for a variety of uses. The topography includes a natural mix of terrain, giving flexibility for site planning, whether for a private homesite, recreational use, or simply holding as an asset. With only five lots in the subdivision, each parcel maintains space and privacy while still being part of a small, planned community. The quiet setting makes it appealing for those looking to build or invest outside of dense development, without being too far from town. Located in Chiefland, this property offers proximity to some of North Central Florida's best outdoor recreation. The Suwannee River, Manatee Springs State Park, and Fanning Springs are all within a short drive, offering opportunities for kayaking, fishing, hiking, and camping. Chiefland itself offers essential services, local shops, and a welcoming, small-town environment.
Copyright © 2026 Dixie-Gilchrist-Levy Multiple Listing Service. All rights reserved. All information provided by the listing agent/broker is deemed reliable but is not guaranteed and should be independently verified.
Is this your property? Sell it faster with premium placement and targeted ads.