Is this your property? Sell it faster with premium placement and targeted ads.
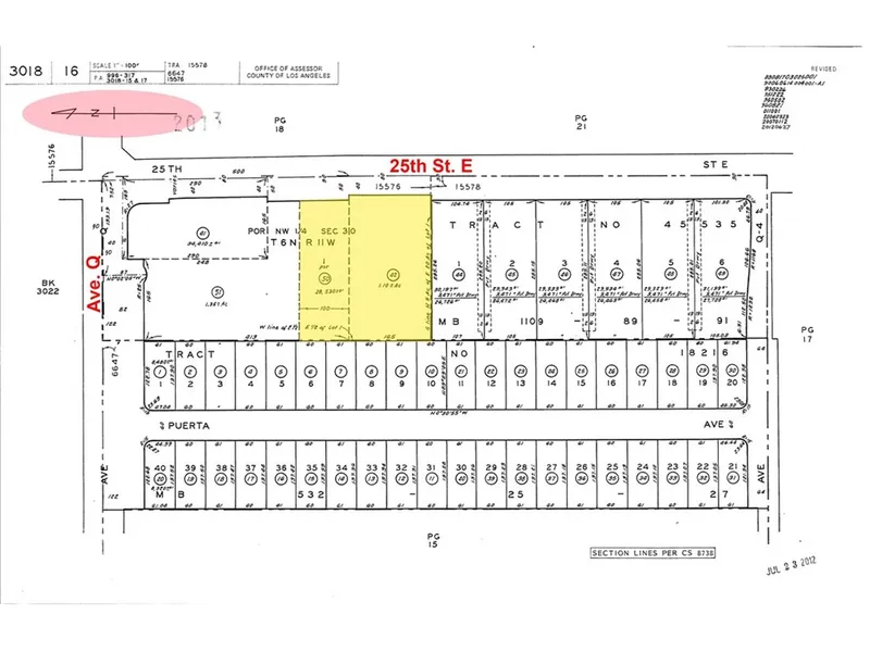
This .655 Ac. property and property next door APN: 3018-016-042 can be purchase separately . Utilities are in the Street. Whether Your dreaming of building Your Ideal Homes or have a developer's Dream, you will have 1.75 Acres of Prime Land at your Disposal. Do Not Miss This Terrific Opportunity. This is your chance to own Residential Plan development Acreage! This is definitely up and coming for any developer or Investment property.
The properties located between church and duplexes.
Conveniently located to and on street access. With utilities all around. This beautifully flat, over 1.75 acre property is ready for a build. Great location centrally located to new College being built across the street as well as all shopping, gas, schools and restaurants all around. Boeing and Northrop close by. Aerospace college being built down the street as well.
Contact Information:
Bus.:818-345-4601
Em...
Email: mr.khatibi@yahoo. com
Is this your property? Sell it faster with premium placement and targeted ads.