Sign up
Log in
Results
View all 13 pictures
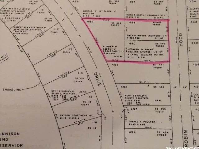
Size: 0.34 Acres

SHERWOOD SHORES LOT

Sherwood Shores Subdivision is located just west of Delta.

3 Lots just across the street from the west shore of the Gunnison Bend Reservoir for a total acreage of .34 acres. Corners marked by seller. Power & water are connected & natural gas is available to connect to. Mature trees & cement pad on site. Fronts Sherwood Dr. & Robinhood Dr. Across from boat ramp & park. Very peaceful area.

Water is now provided by Delta City.

Read More

From elevation to risk assessment

Search for detailed parcel information including; Elevation & Vegetation Maps, Ownership Information, Detailed Parcel Information, Crop History Map, Soil Survey Productivity Data, and more.

Research Parcel Information
Contact Seller

Signature Real Estate Services Inc

Fillmore, UT

(435) 743-8316