Is this your property? Sell it faster with premium placement and targeted ads.
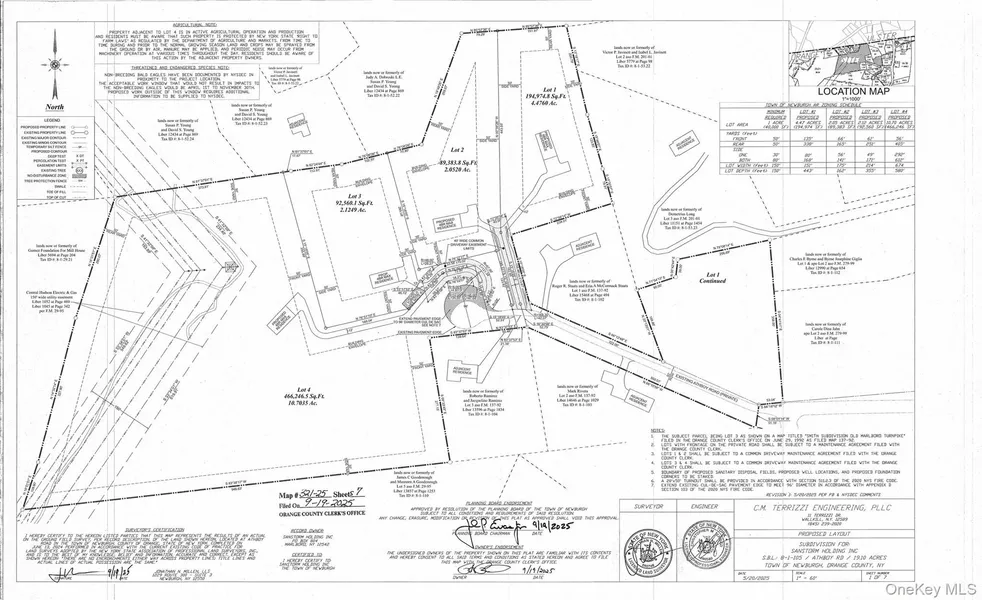
Calling all builders! This 19.1 acre, fully approved four lot subdivision offers a "shovel ready" opportunity for builders seeking a streamlined project in the Marlboro School District. All engineering, Board of Health approvals, septic designs, and roadway plans are complete, allowing a developer to move directly into construction without delays. The subdivision includes four well proportioned lots: Lot 1 with 4.47 acres, Lot 2 with 2.05 acres, Lot 3 with 2.12 acres, and Lot 4 with 10.7 acres, all arranged around a cul de sac design that supports a range of home styles and site plans. Further subdivision of the largest lot is possible in 3 years. The topography and lot configuration provide flexibility for builders who want to offer homes with outdoor entertaining space, walkout lower levels, or views depending on the final building design. With the groundwork already completed, this pr...
Calling all builders! This 19.1 acre, fully approved four lot subdivision offers a "shovel ready" opportunity for builders seeking a streamlined project in the Marlboro School District. All engineering, Board of Health approvals, septic designs, and roadway plans are complete, allowing a developer to move directly into construction without delays. The subdivision includes four well proportioned lots: Lot 1 with 4.47 acres, Lot 2 with 2.05 acres, Lot 3 with 2.12 acres, and Lot 4 with 10.7 acres, all arranged around a cul de sac design that supports a range of home styles and site plans. Further subdivision of the largest lot is possible in 3 years. The topography and lot configuration provide flexibility for builders who want to offer homes with outdoor entertaining space, walkout lower levels, or views depending on the final building design. With the groundwork already completed, this property allows a builder to focus on construction and marketing rather than navigating the approval process. This offering delivers a strong development opportunity in a desirable Hudson Valley location. With its multiple approved homesites and accessible acreage, it is well suited for builders looking to bring new construction to market efficiently and with confidence.
Copyright © 2025 OneKey MLS. All rights reserved. All information provided by the listing agent/broker is deemed reliable but is not guaranteed and should be independently verified.
Is this your property? Sell it faster with premium placement and targeted ads.