Sign up
Log in
Results
View all 2 pictures

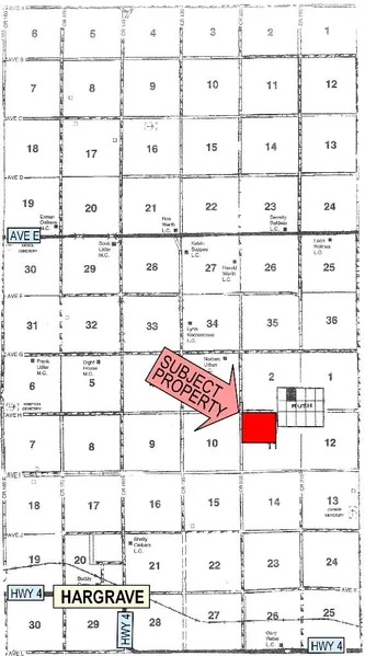
160 Acres Rush County CRP

160 Acres of Rush Co. Land. 143.3 Acres Currently Enrolled in CRP at $38.42 per acre through 9/30/2020. 50% of Unpaid CRP Payments go to the Buyer.

NW/4 11-17-19, Rush Co., KS

2018 Taxes Were $1,167.24

Read More

From elevation to risk assessment

Search for detailed parcel information including; Elevation & Vegetation Maps, Ownership Information, Detailed Parcel Information, Crop History Map, Soil Survey Productivity Data, and more.

Research Parcel Information

Directions

From North edge of La Crosse, KS go 5 miles West and 3 1/2 mile North

Resources

Links
Property Website
Contact Seller

Carr Auction & Real Estate

Larned, KS

(620) 282-6626