Sign up
Log in
Results
View all 5 pictures

Is this your property? Sell it faster with premium placement and targeted ads.

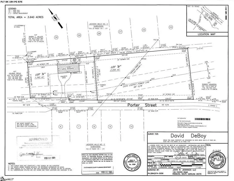
Acreage - Wellford, SC

This is great location for a new home. Seller is selling .76 acres from the total 2.295 acres indicated on Lot B. Buyer will be responsible for surveying the .76 acres. This listing is for Lot B on the exhibit. Buyer will need to get a Survey completed and PERC test.

Copyright © 2025 Spartanburg Association of REALTORS, Inc. All rights reserved. All information provided by the listing agent/broker is deemed reliable but is not guaranteed and should be independently verified.

Read More
Contact Seller

EXP Realty, LLC

License #88372

Greenville, SC

(888) 440-2798

BRIAN O'NEILL

EXP Realty, LLC
View Phone Number
i
By clicking the button, you agree to our Terms of Use and Privacy Policy.

Is this your property? Sell it faster with premium placement and targeted ads.