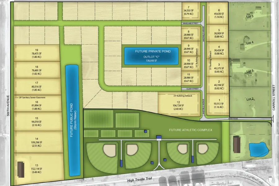
Welcome to Slater's newest development! Trailside Development has something for everyone. Large lots ranging from 0.67-0.92 acres, several lots back to ponds. Easy access to Ames, Ankeny & Des Moines. Future athletic complex nearby. Bring your own builder!
Search for detailed parcel information including; Elevation & Vegetation Maps, Ownership Information, Detailed Parcel Information, Crop History Map, Soil Survey Productivity Data, and more.
Research Parcel Information