Sign up
Log in
Results
View all 1 pictures

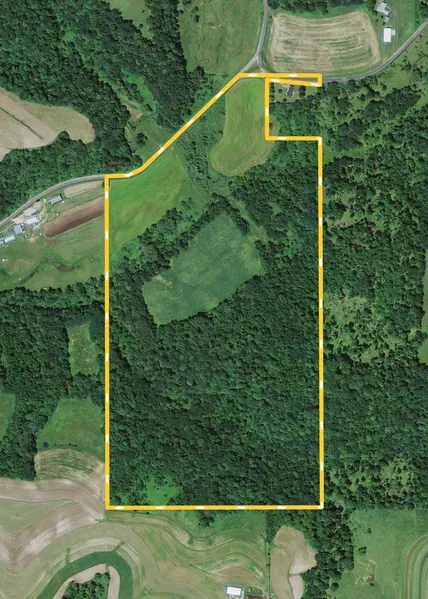
Excellent Hunting Tract Near West Fork Kickapoo River

Excellent hunting farm with approximately 14 acres of tillable to rent out or for food plots. Rolling topography with excellent trail system throughout the property.

From elevation to risk assessment

Search for detailed parcel information including; Elevation & Vegetation Maps, Ownership Information, Detailed Parcel Information, Crop History Map, Soil Survey Productivity Data, and more.

Research Parcel Information

Directions

Call agent for directions.

Resources

Links
Property Website
Contact Seller
Whitetail Properties Real Estate

Chaseburg, WI

(608) 406-4609

Provided By

Whitetail Properties Real Estate, (608) 406-4609
Listing last updated: February 6, 2022 at 3:08 AM
Report this listing

More by Kyle Schultz