Sign up
Log in
Results
View all 19 pictures
Size: 4.08 Acres

Is this your property? Sell it faster with premium placement and targeted ads.

Residential - Grafton, MA

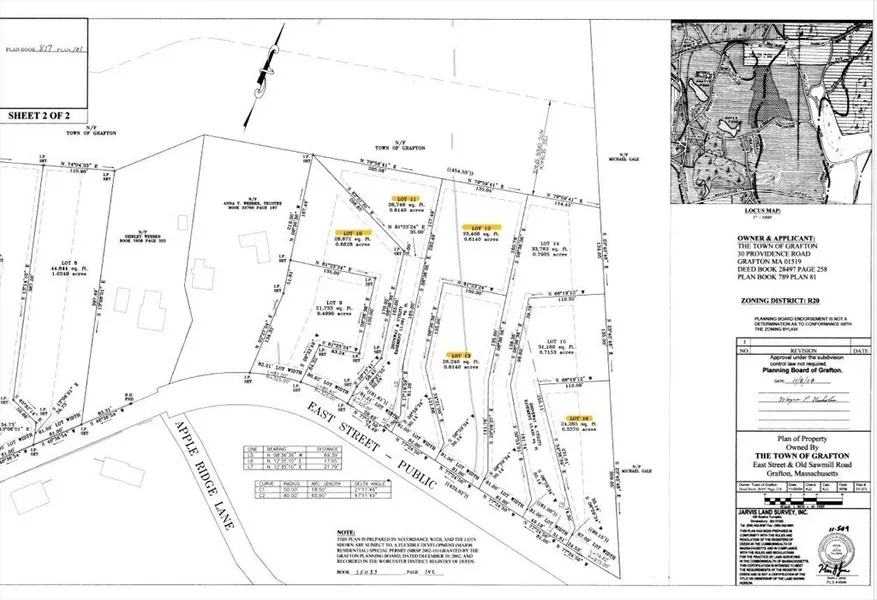
Developers take notice!!! RARE opportunity for a complete shovel ready development! This approved (special permit) 6 lot subdivision is ready for building! Located on a quiet country road yet just minutes to the T station, 90 and 20, this is a commuter's dream location. New homes in the area are selling for $1M plus. All the work has been done for you. At street for all lots...sewer (manholes, inverts and laterals), water and electric. One very small storm water management is all that is left to be done in order to obtain building permits. Lot 5 common driveway is in. Flat lots that abut town conservation of 25 acres land know as Webber Hills. This is a truly rare turnkey development.

Copyright © 2025 MLS Property Information Network Inc. All rights reserved. All information provided by the listing agent/broker is deemed reliable but is not guaranteed and should be independently verifie...

Read More

From elevation to risk assessment

Search for detailed parcel information including; Elevation & Vegetation Maps, Ownership Information, Detailed Parcel Information, Crop History Map, Soil Survey Productivity Data, and more.

Research Parcel Information

Unlock the full LandWatch experience

Have an account?Sign In

Contact Seller

RE/MAX Executive Realty

License #REB.0015191

North Grafton, MA

(508) 839-9219

Francielle Caldeira

RE/MAX Executive Realty
View Phone Number
By clicking the button, you agree to our Terms of Use and Privacy Policy.

Is this your property? Sell it faster with premium placement and targeted ads.