Sign up
Log in
Results
View all 1 pictures
Size: 0.27 Acres
Type: Homesite

Is this your property? Sell it faster with premium placement and targeted ads.

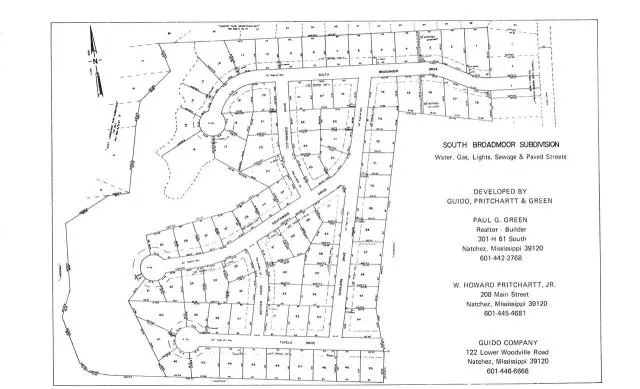
LAND - Natchez, MS

Lot has covenants calling for single family residential construction. No mobile homes are permitted as per the attached covenants in associated documents. Acreage figures are approximate and a copy of the South Broadmoor Plat is in associated documents where you will find the most accurate dimensions available. Owner/Broker

Copyright © 2025 MLS United. All rights reserved. All information provided by the listing agent/broker is deemed reliable but is not guaranteed and should be independently verified.

Read More

From elevation to risk assessment

Search for detailed parcel information including; Elevation & Vegetation Maps, Ownership Information, Detailed Parcel Information, Crop History Map, Soil Survey Productivity Data, and more.

Research Parcel Information
Contact Seller

Paul Green & Associates Realtors

License #8594

Natchez, MS

(601) 431-2644

GLENN GREEN

Paul Green & Associates Realtors
View Phone Number
i
By clicking the button, you agree to our Terms of Use and Privacy Policy.

Is this your property? Sell it faster with premium placement and targeted ads.

Provided By

Paul Green & Associates Realtors, (601) 442-2768
Source: ListHub, MLS# 205918
Listing status: Active
Listing last updated: December 9, 2025 at 3:43 PM
Listing last checked: December 11, 2025 at 3:30 PM
Report this listing

Other Land for Sale in Adams County