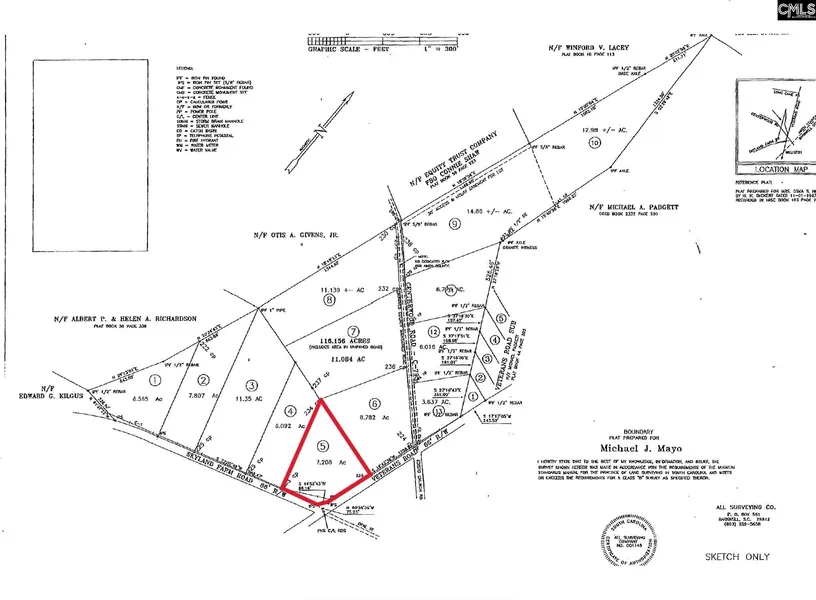
+/- 7.208 acre lot on the corner of Skyland farm Road and Veterans Road in the R&R Farms Development in prime horse country in Aiken County. One of 13 available parcels. Located just 25 minutes outside of downtown Aiken, this property offers ample opportunity to build your own home, small farm or recreational equestrian facility. Close proximity to Aiken's abundant equestrian facilities including Hitchcock Woods, The Vista Schooling and Event Center, Aiken Horse Park/Bruce's Field, Highfields Event Center, New Bridge Polo & Country Club, Aiken Training Track, etc. Approximately 45 minutes from Augusta and one hour from Columbia. Farm animals ok. Owner financing available. Minimal restrictions including no single-wide mobile homes. Lot lines proposed are tentative, more property can be purchased if desired. Disclaimer: CMLS has not reviewed and, therefore, does not endorse vendors who ma...
+/- 7.208 acre lot on the corner of Skyland farm Road and Veterans Road in the R&R Farms Development in prime horse country in Aiken County. One of 13 available parcels. Located just 25 minutes outside of downtown Aiken, this property offers ample opportunity to build your own home, small farm or recreational equestrian facility. Close proximity to Aiken's abundant equestrian facilities including Hitchcock Woods, The Vista Schooling and Event Center, Aiken Horse Park/Bruce's Field, Highfields Event Center, New Bridge Polo & Country Club, Aiken Training Track, etc. Approximately 45 minutes from Augusta and one hour from Columbia. Farm animals ok. Owner financing available. Minimal restrictions including no single-wide mobile homes. Lot lines proposed are tentative, more property can be purchased if desired. Disclaimer: CMLS has not reviewed and, therefore, does not endorse vendors who may appear in listings.
Copyright © 2025 Consolidated MLS, SC. All rights reserved. All information provided by the listing agent/broker is deemed reliable but is not guaranteed and should be independently verified.
Search for detailed parcel information including; Elevation & Vegetation Maps, Ownership Information, Detailed Parcel Information, Crop History Map, Soil Survey Productivity Data, and more.
Research Parcel InformationCall Agent for directions.