Sign up
Log in
Results
View all 1 pictures

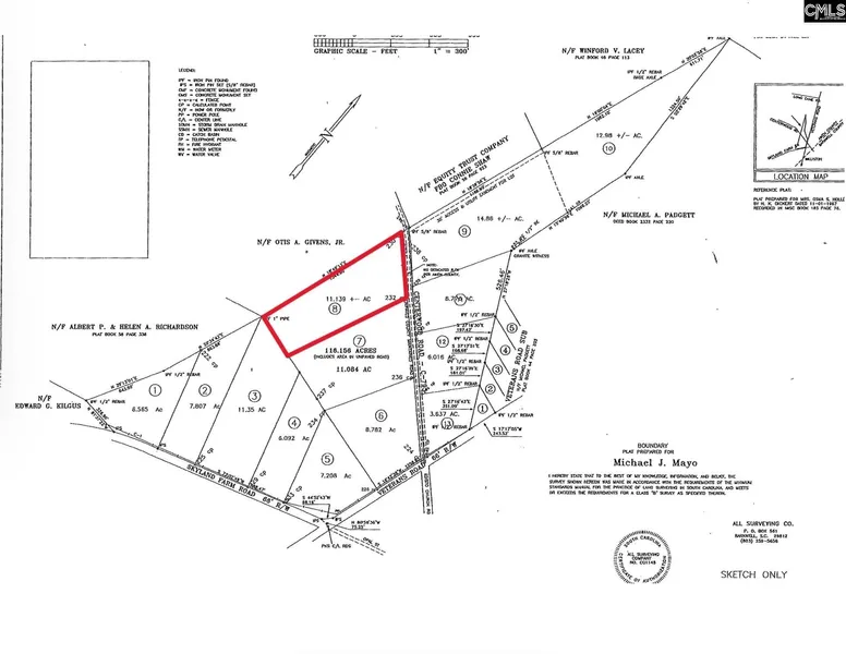
Acreage - Williston, SC

+/- 11.139 acre lot in the R&R Farms Development in prime horse country in Aiken County. One of 13 available parcels. Located just 25 minutes outside of downtown Aiken, this property offers ample opportunity to build your own home, small farm or recreational equestrian facility. Close proximity to Aiken's abundant equestrian facilities including Hitchcock Woods, The Vista Schooling and Event Center, Aiken Horse Park/Bruce's Field, Highfields Event Center, New Bridge Polo & Country Club, Aiken Training Track, etc. Approximately 45 minutes from Augusta and one hour from Columbia. Farm animals ok. Owner financing is available. Minimal restrictions including no single-wide mobile homes. Lot lines proposed are tentative, more property can be purchased if desired. Disclaimer: CMLS has not reviewed and, therefore, does not endorse vendors who may appear in listings.

Copyright © 2025 Consolidate...

Read More

From elevation to risk assessment

Search for detailed parcel information including; Elevation & Vegetation Maps, Ownership Information, Detailed Parcel Information, Crop History Map, Soil Survey Productivity Data, and more.

Research Parcel Information

Directions

Call agent for directions.

Contact Seller
Southern Visions Realty I LLC

Lexington, SC

(803) 784-5597

W Rhett Kelly

Southern Visions Realty I LLC
i
By clicking the button, you agree to our Terms of Use and Privacy Policy.

Provided By

Southern Visions Realty I LLC, (803) 784-5597
Source: MLS# 594841
Listing last updated: October 31, 2025 at 7:39 AM
Report this listing

More by W Rhett Kelly