Sign up
Log in
Results
View all 4 pictures

Is this your property? Sell it faster with premium placement and targeted ads.

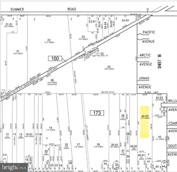
LAND - VINELAND, NJ

BUILDER ALERT - 6 Potential Lots with Preliminary Subdivision Approval! Incredible opportunity to develop up to 6 buildable lots in Buena Boro. Preliminary subdivision approval is in place, and the access road has already been deeded to the Borough. Remaining steps include Atlantic County Soil Conservation approval and posting a performance bond. Final subdivision approval is the responsibility of the buyer. Endless possibilities-build one home or up to six! Buyer must conduct their own due diligence regarding zoning, approvals, and development potential. Note: Seller and Listing Broker make no warranties or representations, expressed or implied, regarding the accuracy of information. All information is deemed reliable but not guaranteed.

Copyright © 2025 Bright MLS. All rights reserved. All information provided by the listing agent/broker is deemed reliable but is not guaranteed and shou...

Read More

From elevation to risk assessment

Search for detailed parcel information including; Elevation & Vegetation Maps, Ownership Information, Detailed Parcel Information, Crop History Map, Soil Survey Productivity Data, and more.

Research Parcel Information
Contact Seller

eXp Realty - Montclair

License #1645158

Montclair, NJ

(609) 579-9417

Nancy Hund

eXp Realty - Montclair
View Phone Number
By clicking the button, you agree to our Terms of Use and Privacy Policy.

Is this your property? Sell it faster with premium placement and targeted ads.

Provided By

eXp Realty - Montclair, (866) 201-6210
Source: ListHub, MLS# NJAC2018814
Listing status: Active
Listing last updated: October 29, 2025 at 1:41 PM
Listing last checked: December 2, 2025 at 2:30 PM
Report this listing

Other Land for Sale in Atlantic County