Prime Hunting Retreat with Income & Building Potential A Rare Opportunity Awaits!
If you're a serious hunter or land investor looking for a secluded, high-quality property that offers world-class deer and turkey hunting, steady income, and future building potential this is the one you've been waiting for.
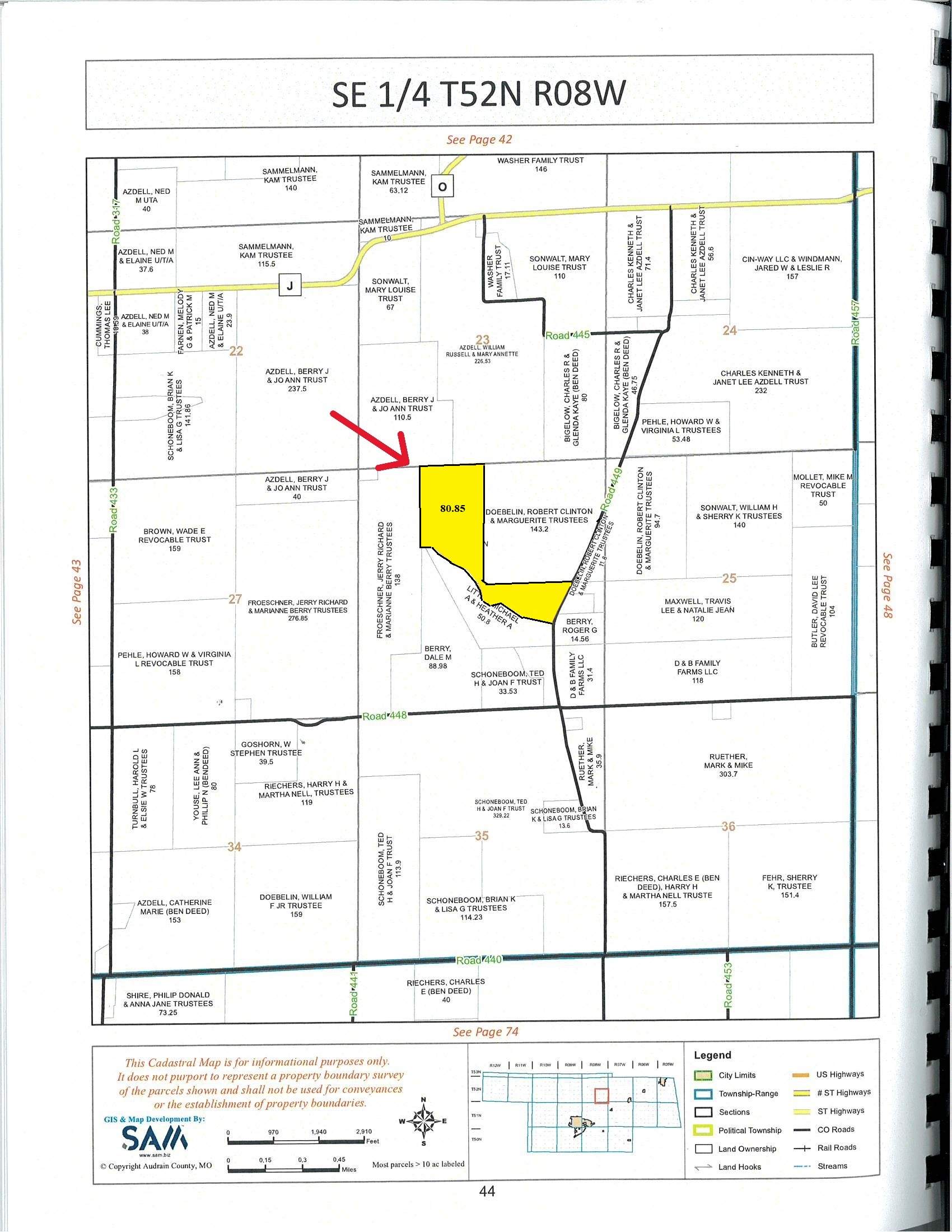
Located just 11 miles from Mexico, MO and 8 miles from Laddonia, this 80.85-acre gem is tucked away from the noise and distractions of everyday life. With 51.3 acres of highly productive tillable ground, currently under a $200/acre cash rent lease through 2026, you'll enjoy immediate passive income while having the flexibility to build equity in a truly special piece of land.
The balance of the acreage is a hunter's dream, dense timber, brushy bedding cover, and grassy corridors that create the perfect habitat for mature bucks and thunderous long beards. Littleby Creek meanders along...
The balance of the acreage is a hunter's dream, dense timber, brushy bedding cover, and grassy corridors that create the perfect habitat for mature bucks and thunderous long beards. Littleby Creek meanders along the western edge, offering a natural water source and additional habitat diversity that attracts and holds game year-round.
One of this property's most valuable attributes is its rare seclusion. With the majority of the property over half a mile from the nearest public road, the interior of the farm is shielded from traffic and disturbances ideal for both strategic hunting setups and peaceful getaways. Whether you're planning to build a private hunting cabin, a full-time residence, or simply park your camper for weekend escapes, this location checks every box.
Priced competitively at $6,100/acre, this property offers excellent value for both lifestyle and investment.
Call or text Troy at 660-973-3958
Message me today for more details or to schedule a private tour.
Agent has ownership interest in this property.
Properties like this don't last get ahead of the competition and secure your slice of outdoor paradise.
Search for detailed parcel information including; Elevation & Vegetation Maps, Ownership Information, Detailed Parcel Information, Crop History Map, Soil Survey Productivity Data, and more.
Research Parcel Information