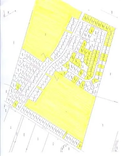
Investor Special! Hillside Estates is a restricted Subdivision for Manufactured Housing. There are 41 - 1/2 Acre lots, and 93.575 Acres of undeveloped subdivision acreage with approximately 42.1 Acres having access to Interstate Highway 35 and three seperate street accesses along Hillside Drive. It is estimated that this may can be split into four tracts, about 10.5 Acres each. There is a septic system at previous sales office at entrance to subdivision. The water meter was removed from the sales office tap. There is approximately 51.4 Acres remaining of the 93.575 Acre parent tract with frontage along Old Highway 81, three accesses along Hillside Drive, and one access along Troy View Drive. It is estimated that this may can be split into five tracts, between 10.1 to 10.45 Acres each. The split estimates are ONLY ESTIMATES OF POSSIBLE DIVIDING, and have not been thoroughly researched, no...
Investor Special! Hillside Estates is a restricted Subdivision for Manufactured Housing. There are 41 - 1/2 Acre lots, and 93.575 Acres of undeveloped subdivision acreage with approximately 42.1 Acres having access to Interstate Highway 35 and three seperate street accesses along Hillside Drive. It is estimated that this may can be split into four tracts, about 10.5 Acres each. There is a septic system at previous sales office at entrance to subdivision. The water meter was removed from the sales office tap. There is approximately 51.4 Acres remaining of the 93.575 Acre parent tract with frontage along Old Highway 81, three accesses along Hillside Drive, and one access along Troy View Drive. It is estimated that this may can be split into five tracts, between 10.1 to 10.45 Acres each. The split estimates are ONLY ESTIMATES OF POSSIBLE DIVIDING, and have not been thoroughly researched, nor have they been surveyed as such. There are also 2 lots designated as detention area for subdivision storm drainage, to be owned & maintained by the Hillside Estates Homeowners Association. The lots would be serviced by Elm Creek WSC out of Moody, TX. The meter cost is approximately $1,700 each. Water lines are in place. Underground electricity to lots. Each lot would need it's own septic system constructed, as well as drainage culverts in ditch at front of lot(s). Streets are asphalt, and are in place. Subdivision is in Troy ISD. Telephone service is a Bruceville-Eddy number.
Search for detailed parcel information including; Elevation & Vegetation Maps, Ownership Information, Detailed Parcel Information, Crop History Map, Soil Survey Productivity Data, and more.
Research Parcel InformationFrom Temple-Belton, take IH-35 to Exit 311 (Big Elm Road), cross overpass, turn right heading north on two-way service road, north about a mile. From Waco, take IH-35 to Exit 314 (Old Blevins Road), travel along service road a couple miles, into Bell County. Hillside Drive on right.