Sign up
Log in
Results
View all 1 pictures

Is this your property? Sell it faster with premium placement and targeted ads.

Hotel/Motel - Bossier City, LA

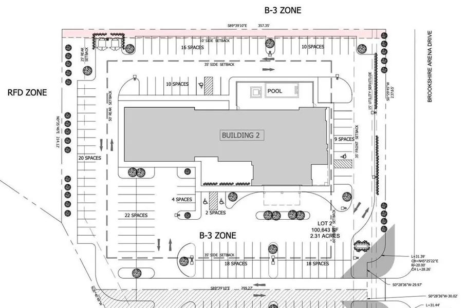
Great Location! This location designated for Hotel. Site plan recently revised to include larger hotel and more surrounding parking. Planned Development with 2.31 acres approved to build. World class billiards hall on-site and will host monthly and quarterly competitions... some televised. Civil Engineering plans, water, sewer, electric, and communications are done for you. Architectural plans can be provided if needed. Purchase land and build it or contract the developer to build it for you. Call us to discuss it today!

Copyright © 2026 North Texas Real Estate Information Systems, Inc. All rights reserved. All information provided by the listing agent/broker is deemed reliable but is not guaranteed and should be independently verified.

Read More

From elevation to risk assessment

Search for detailed parcel information including; Elevation & Vegetation Maps, Ownership Information, Detailed Parcel Information, Crop History Map, Soil Survey Productivity Data, and more.

Research Parcel Information
Contact Seller

Coldwell Banker Apex, REALTORS

License #0679311

Bossier City, LA

(318) 861-2461

Mike Moore

Coldwell Banker Apex, REALTORS
View Phone Number
By clicking the button, you agree to our Terms of Use and Privacy Policy.

Is this your property? Sell it faster with premium placement and targeted ads.

Provided By

Coldwell Banker Apex, REALTORS, (318) 861-2461
Source: ListHub, MLS# 21043931
Listing status: Active
Listing last updated: December 31, 2025 at 11:23 PM
Listing last checked: December 31, 2025 at 10:30 PM
Report this listing

Other Land for Sale in Bossier Parish