Sign up
Log in
Results
View all 19 pictures
Size: 9.1 Acres

Is this your property? Sell it faster with premium placement and targeted ads.

A0693 I & G N R R TRACT 8-9-9A-10-11-12-12A-13-27-28-28A-29

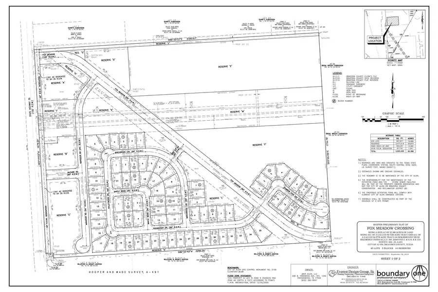
9.1 acres of frontage along Highway 35 at Kendall Lakes Boulevard being sold together or can be subdivided. Located very near the future Grand Parkway/99 connection (map attached) for easy access to Houston, Galveston and Angleton. Located inside the Alvin city limits. Brazoria County is currently one of the most rapidly developing and re-developing areas in the state of Texas. Many new neighborhoods and businesses being built nearby. Per the City of Alvin GIS utilities map attached, city water and sewer appear to be available to the property. Also attached is a Preliminary Plat and a sample layout of the approximate 9.1 acres in reserves and the subdivision lots. The reserves can be modified since no final plat has been approved as of yet. Don't miss out on this opportunity to have great frontage on the heavily traveled Highway 35, between Pearland and Alvin.

Copyright 2026 Houst...

Read More

From elevation to risk assessment

Search for detailed parcel information including; Elevation & Vegetation Maps, Ownership Information, Detailed Parcel Information, Crop History Map, Soil Survey Productivity Data, and more.

Research Parcel Information

Environmental Factors

Flood Factor ™
/ 10
Fire Factor ™
/ 10
Heat Factor ™
/ 10
Wind Factor ™
/ 10
Source:First Street
Contact Seller

Infinity Real Estate Group

License #0479838

(832) 264-8934

Christy Buck

Infinity Real Estate Group
View Phone Number
By clicking the button, you agree to our Terms of Use and Privacy Policy.

Is this your property? Sell it faster with premium placement and targeted ads.