Sign up
Log in
Results
View all 2 pictures
Size: 0.43 Acres

0.43 Acres in Taunton, MA - $109,000

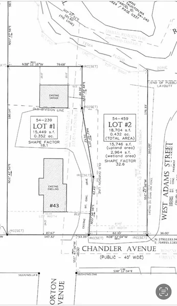
BOM on this "As is" sale if current buyer does NOT close by 3/14/24 on this buildable lot Referred to as LOT #2 on land survey photo. Drive by and look from Street only. Green space to the right of house #43. Buyers and buyers agents to do due diligence. Text agent to get some information. Board recently tentatively approved a 3-family build but Seller recently withdrew intent to build due to hired angineer/builder failure to stick with deadlines.

From elevation to risk assessment

Search for detailed parcel information including; Elevation & Vegetation Maps, Ownership Information, Detailed Parcel Information, Crop History Map, Soil Survey Productivity Data, and more.

Research Parcel Information
Contact Seller

Dorchester

Dorchester, MA

(617) 645-8269