Sign up
Log in
Results
View all 1 pictures
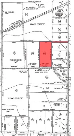
Size: 12.94 Acres

12.94 Acres in Vinton, LA - $84,110

( Lot 17 C ) 12.94 acre parcel on West St, inside city limits. Residential acreage, cleared and ready to build your home. This parcel can be combined with adjoining lots 17 B & 17 A for a total of 49.14 acres. The location being near I-10 and Delta Downs, allows you to enjoy country life along with a convenient drive for those who work in the Lake Charles, Sulphur, or Golden Triangle areas. Additional lots available. Personal livestock allowed as per restrictions. MLS# 187198

From elevation to risk assessment

Search for detailed parcel information including; Elevation & Vegetation Maps, Ownership Information, Detailed Parcel Information, Crop History Map, Soil Survey Productivity Data, and more.

Research Parcel Information

Environmental Factors

Flood Factor ™
/ 10
Fire Factor ™
/ 10
Heat Factor ™
/ 10
Wind Factor ™
/ 10
Source:First Street
Contact Seller

CENTURY 21 Bono Realty

Lake Charles, LA

(337) 540-7937