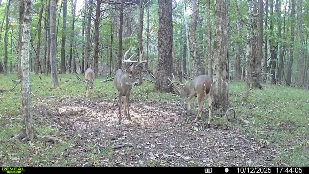
All timber hunting tract with a proven history of big bucks! This property offers an outstanding layout for serious deer and turkey hunters, featuring a large timbered ridge system and an ideal mix of habitat types throughout. The rolling topography and diverse structure naturally create numerous funnels and pinch points that concentrate deer movement, making it highly effective for stand placement and seasonal hunting setups. The farm is covered in softwoods and mast-producing hardwoods, with plenty of oaks providing a strong fall mast crop to support wildlife. A 2019 timber cruise valued the standing timber at $312,958.57, adding notable long-term investment value. Areas of dense bedding and security cover are scattered across the property, offering the kind of sanctuary mature bucks need to thrive. A landing area near the access point provides a great location for a cabin, hunting cam...
All timber hunting tract with a proven history of big bucks! This property offers an outstanding layout for serious deer and turkey hunters, featuring a large timbered ridge system and an ideal mix of habitat types throughout. The rolling topography and diverse structure naturally create numerous funnels and pinch points that concentrate deer movement, making it highly effective for stand placement and seasonal hunting setups. The farm is covered in softwoods and mast-producing hardwoods, with plenty of oaks providing a strong fall mast crop to support wildlife. A 2019 timber cruise valued the standing timber at $312,958.57, adding notable long-term investment value. Areas of dense bedding and security cover are scattered across the property, offering the kind of sanctuary mature bucks need to thrive. A landing area near the access point provides a great location for a cabin, hunting camp, or equipment site, and several open pockets could be easily converted into food plot acreage. An established road and trail system runs throughout the tract, providing solid access to interior hunting areas while keeping travel routes low-impact. The southern portion of the property transitions into lowland timber that experiences seasonal flooding, creating additional habitat diversity and offering waterfowl hunting opportunities during migration periods. The property also adjoins tillable acreage, enhancing the overall wildlife draw and reinforcing its value as a travel corridor. The farm is completely secluded, with no road frontage and private access via deeded easement, ensuring privacy and controlled entry. This is an excellent opportunity to own a well-managed timber tract in a proven area for quality deer hunting, complete with natural diversity, timber value, and a solid access setup.
Search for detailed parcel information including; Elevation & Vegetation Maps, Ownership Information, Detailed Parcel Information, Crop History Map, Soil Survey Productivity Data, and more.
Research Parcel Information