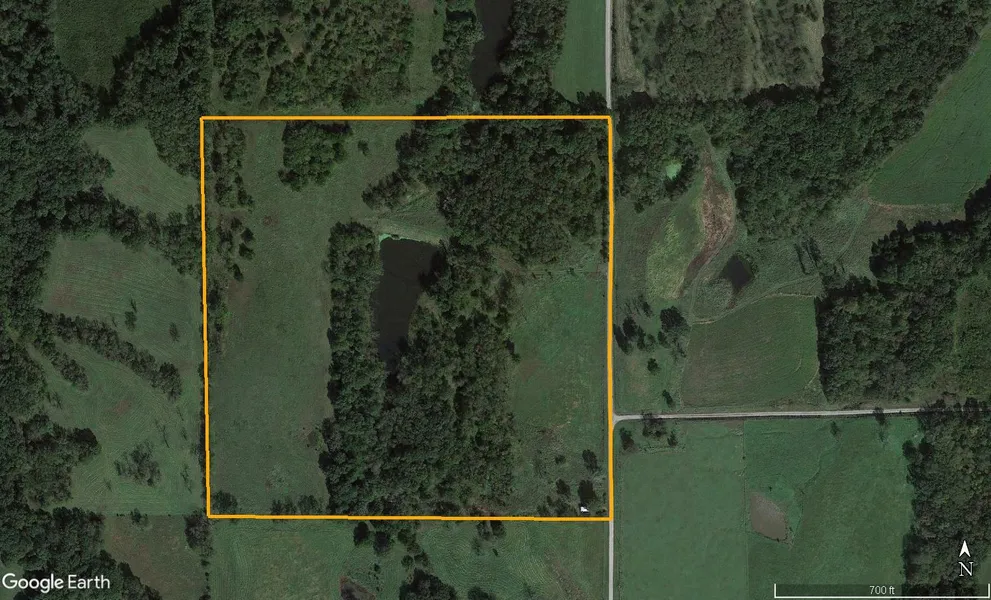
Extraordinary year round recreational homesite on 40 +/- acre in North East Caldwell County. This farm is currently being used for grazing cattle, as well as hay production, but could be simply converted to an excellent homesite with hunting opportunities. There is a 12x27 garage in place, with water, electric, and fiber optic available to build your dream home or cabin along the very low traffic, maintained county road. The western 1/3 of the farm is a nice open, flat ridge that would make an awesome food plot, or alfalfa field, and give you the ability to pull deer in from miles away. The two acre stocked bass pond is located in the center of the farm, RV access with a pad on the eastern side of the pond for parking. This farm is a must see to believe with its spectacular views, seclusion, and wildlife. Additional acreage is available. Call Luke Shoemaker with questions, 660-676-22...
Extraordinary year round recreational homesite on 40 +/- acre in North East Caldwell County. This farm is currently being used for grazing cattle, as well as hay production, but could be simply converted to an excellent homesite with hunting opportunities. There is a 12x27 garage in place, with water, electric, and fiber optic available to build your dream home or cabin along the very low traffic, maintained county road. The western 1/3 of the farm is a nice open, flat ridge that would make an awesome food plot, or alfalfa field, and give you the ability to pull deer in from miles away. The two acre stocked bass pond is located in the center of the farm, RV access with a pad on the eastern side of the pond for parking. This farm is a must see to believe with its spectacular views, seclusion, and wildlife. Additional acreage is available. Call Luke Shoemaker with questions, 660-676-2218.
-Gorgeous home site, with long river bottom views
-Mature Apple and Persimmon trees
-Property is perimeter fenced, with cross fences
-Cattle waterer located behind the pond
-Very clean property, excellent neighborhood
-Thick areas for wildlife, as well as open areas for farming/livestock
-Premium area for hunting deer/turkey
-20 minutes to Chillicothe
-90 minutes to down town Kansas City