Sign up
Log in
Results
View all 1 pictures

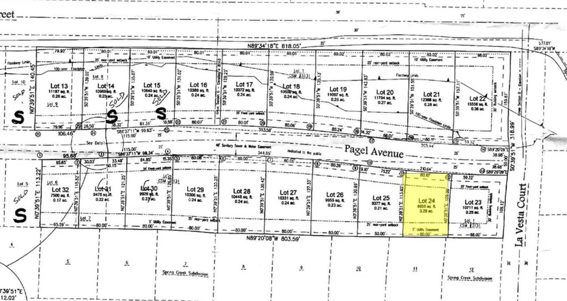
0.2 Acres in Brillion, WI - $27,900

WELCOME TO COTTAGE ESTATES SUBDIVISION in the city of Brillion. Views of Peters Park, walk to elementary/middle school & downtown shopping. Brillion has a lot to offer w/community center, large employers, nature center, great schools, library and more. Zoned 1 or 2 family residential. Area of nice residential, condos & duplexes. Restrictive Covenants & bylaws. DUPLEX LOT

From elevation to risk assessment

Search for detailed parcel information including; Elevation & Vegetation Maps, Ownership Information, Detailed Parcel Information, Crop History Map, Soil Survey Productivity Data, and more.

Research Parcel Information
Contact Seller

Coldwell Banker Real Estate Group

Brillion, WI

(920) 540-1322

Provided By

Coldwell Banker Real Estate Group, (920) 540-1322
Source: Coldwell Banker, MLS# 50194777
Listing last updated: February 6, 2022 at 3:12 AM
Listing last checked: October 10, 2025 at 5:30 AM
Report this listing