Sign up
Log in
Results
View all 1 pictures

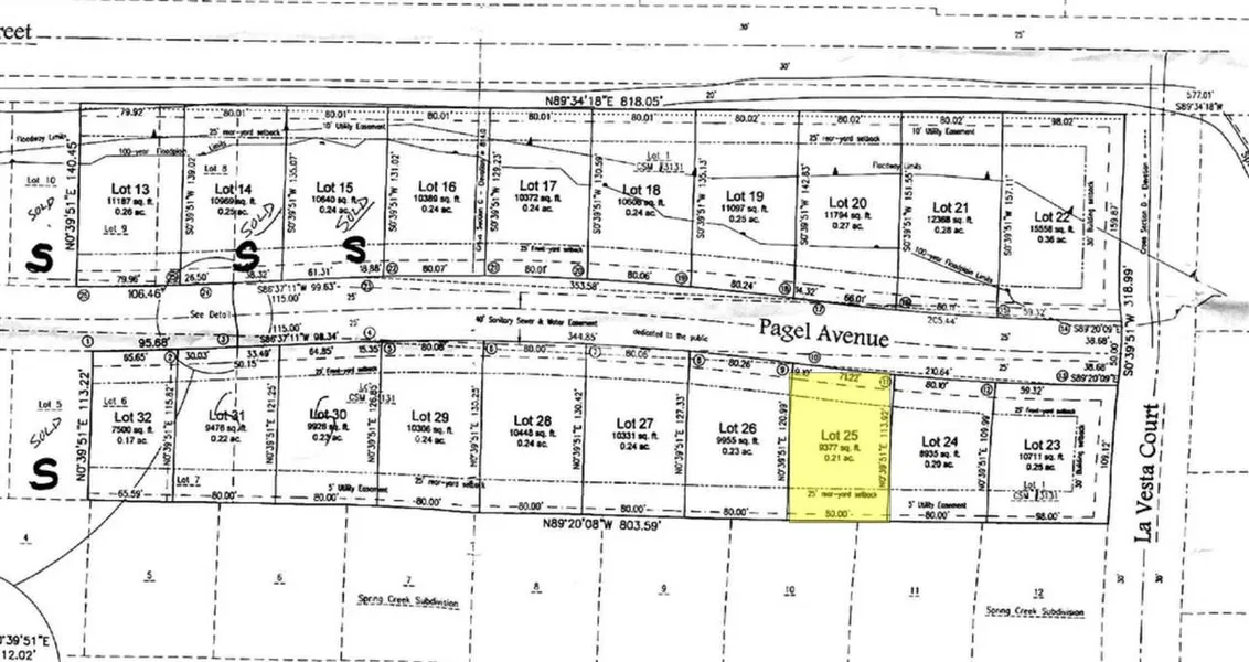
0.21 Acres in Brillion, WI - $29,900

WELCOME TO COTTAGE ESTATES subdivision in the city of Brillion. Views of Peters Park, Spring Creek & Brillion State Wildlife area PLUS walk to elementary/middleschool & downtown shopping along with local parks is ideal! Zoned residential. Be part of a growing area of nice & affordable homes. Restrictive Covenants & bylaws. Mix of one & two familyzoned lots in subdivision. Minimum sqft for 1 story one-family: 1200SF. Affordable Lots! Call for more details

From elevation to risk assessment

Search for detailed parcel information including; Elevation & Vegetation Maps, Ownership Information, Detailed Parcel Information, Crop History Map, Soil Survey Productivity Data, and more.

Research Parcel Information
Contact Seller

Coldwell Banker Real Estate Group

Brillion, WI

(920) 540-1322

Provided By

Coldwell Banker Real Estate Group, (920) 540-1322
Source: Coldwell Banker, MLS# 50234265
Listing last updated: February 6, 2022 at 10:08 AM
Listing last checked: October 10, 2025 at 5:30 AM
Report this listing