Sign up
Log in
Results
View all 11 pictures
Size: 1 Acre
Type: Homesite

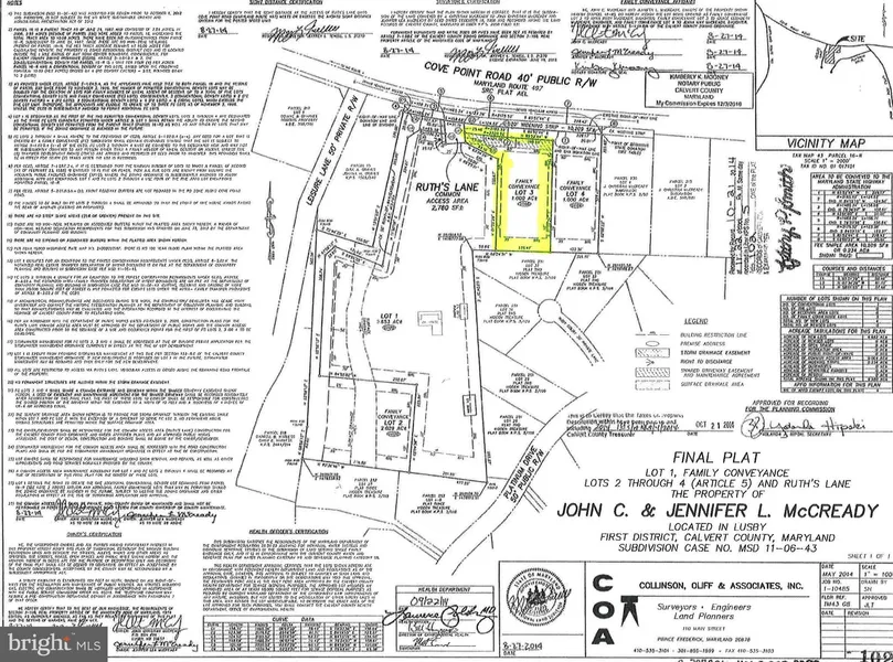
1 Acres in Lusby, MD - $115,000

Approved building lot close to parks, ballfields & soccer fields. Close proximity to restaurants & shopping. Level & cleared. Recorded percs. Owner financing available w/ approved terms. Additional lot next to this one is also for sale. Please review road maintenance agreement & access easement agreement which still needs to be installed by purchaser.

From elevation to risk assessment

Search for detailed parcel information including; Elevation & Vegetation Maps, Ownership Information, Detailed Parcel Information, Crop History Map, Soil Survey Productivity Data, and more.

Research Parcel Information
Contact Seller

CENTURY 21 New Millennium

California, MD

(301) 862-2169