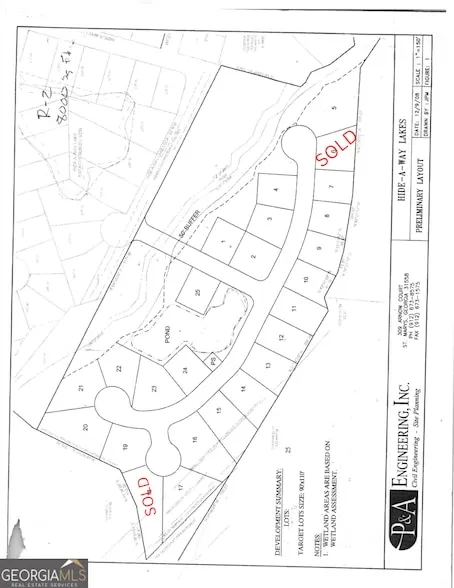
Prime 18 Acre +/- Development Opportunity! Zoned for Duplexes This expansive parcel offers a unique and highly desirable development opportunity for builders and investors. Situated in a rapidly growing area, this property is fully zoned for duplex construction, making it ideal for a high-density residential project. Prime Location: Strategically located near schools, shopping centers, and major highways, this property offers convenience for future residents and high rental demand potential. Potential for Expansion: The large parcel provides the flexibility to design spacious units with room for amenities like parks, trails or shared community spaces. Close to Kings Bay Naval Station, within 45 minutes of downtown Jacksonville, Amelia Island and Saint Simons Island. This beautiful property is truly a park like setting that would be an amazing multi home site for developers. This site cur...
Prime 18 Acre +/- Development Opportunity! Zoned for Duplexes This expansive parcel offers a unique and highly desirable development opportunity for builders and investors. Situated in a rapidly growing area, this property is fully zoned for duplex construction, making it ideal for a high-density residential project. Prime Location: Strategically located near schools, shopping centers, and major highways, this property offers convenience for future residents and high rental demand potential. Potential for Expansion: The large parcel provides the flexibility to design spacious units with room for amenities like parks, trails or shared community spaces. Close to Kings Bay Naval Station, within 45 minutes of downtown Jacksonville, Amelia Island and Saint Simons Island. This beautiful property is truly a park like setting that would be an amazing multi home site for developers. This site currently has a well on the property, has been permitted for duplexes, engineer designed, permitted and approved access to the property. Wetland delineation and been accomplished! Beautiful pond on this property. Don't miss out on this amazing opportunity! They aren't making anymore land in Kingsland, GA!!!
Search for detailed parcel information including; Elevation & Vegetation Maps, Ownership Information, Detailed Parcel Information, Crop History Map, Soil Survey Productivity Data, and more.
Research Parcel InformationFrom SR 40 in Kingsland, turn l onto S Sheffield St, follow the road around to Hide-a-way Lake loop. Once you enter the cul-de-sac, there is culvert access being granted to the left across the creek.