Sign up
Log in
Results
View all 4 pictures

Is this your property? Sell it faster with premium placement and targeted ads.

Residential Lot - HARLINGEN, TX

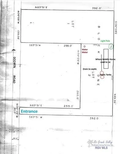
1.15 Acre subdivided tract of land, entry drive on Godwin Road (Harlingen ETJ). Great site for home or commercial, warehouse, etc. Site was once a residential home site, already has septic tank(s), electric pole, water connection for meter (meter may already be on site?). Property is presently in brush. Subject site is an “L” shape tract of land situated directly behind El Muerto Cemetery. Site has a 30' wide driveway X 255' deep. Home site is 137' X 280'

Copyright © 2025 Rio Grande Valley Multiple Listing Service Inc. All rights reserved. All information provided by the listing agent/broker is deemed reliable but is not guaranteed and should be independently verified.

Read More
Contact Seller

MARCUS PHIPPS REAL ESTATE, LLC

Harlingen, TX

(956) 793-9993

Pauline Zurovec

MARCUS PHIPPS REAL ESTATE, LLC
View Phone Number
By clicking the button, you agree to our Terms of Use and Privacy Policy.

Is this your property? Sell it faster with premium placement and targeted ads.

Provided By

MARCUS PHIPPS REAL ESTATE, LLC, (956) 423-5300
Source: ListHub, MLS# 29762984
Listing status: Active
Listing last updated: May 8, 2025 at 11:45 AM
Listing last checked: December 1, 2025 at 10:30 AM
Report this listing

Other Land for Sale in Cameron County