Sign up
Log in
Results
View all 3 pictures

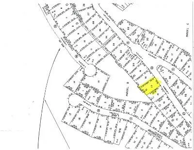
0.26 Acres in Holiday Island, AR - $7,900

Heavily wooded lot is on upslope with a nice view.

Agent: Diane Paulsen 479-253-0898

Read More

From elevation to risk assessment

Search for detailed parcel information including; Elevation & Vegetation Maps, Ownership Information, Detailed Parcel Information, Crop History Map, Soil Survey Productivity Data, and more.

Research Parcel Information
Contact Seller

Coldwell Banker K-C REALTY

Eureka Springs, AR

(479) 253-4442