Sign up
Log in
Results
View all 19 pictures
Size: 5.92 Acres
Type: House

5.92 Acres in Canton, GA - $177,600

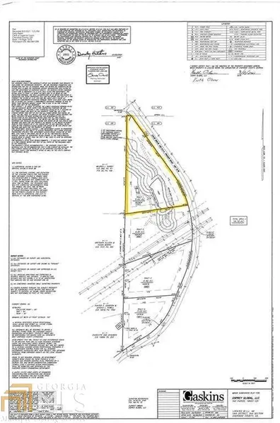
Build your dream home. Tract 1 is 5.92 Acres part of an 18.18 acre tract that has been approved with the county to divide as a Minor Subdivision. Convenient to Canton/Waleska/Cartersville. Several building sites. Wooded with gentle slopes and nice pond. Great for a family compound or weekend getaway. Currently has rustic studio cabin with a bathroom & electric panel in place. Ready for water and electric to be ran. Property is in the conservation.Property approved for 4 lots under as a Minor Subdivision. See FMLS #6927221 Tract 1. (5.92 acres), #6927219 Tract 2 (4.81 acres), #6927218 Tract 3 (4.46 acres), #6927215 Tract 4 (3 acres)

From elevation to risk assessment

Search for detailed parcel information including; Elevation & Vegetation Maps, Ownership Information, Detailed Parcel Information, Crop History Map, Soil Survey Productivity Data, and more.

Research Parcel Information
Contact Seller

ERA Sunrise Realty

Canton, GA

(678) 777-4643