Is this your property? Sell it faster with premium placement and targeted ads.
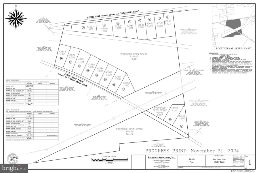
Potential residential subdivision. Three (3) vacant land parcels totaling 50+/- acres located in West Caln Township, Chester County, PA. are being offered as a package. Attention all builders, land developers and investors. Seller may consider an Agreement of Sale contingent on subdivision approval (at Buyer's expense). Properties are located in proximity to Hibernia County Park. Hibernia County Park consists of over 900 acres of trails, woodlands, meadows, open fields, play areas, pavilions and picnic areas. Popular fishing sites include the Brandywine Creek's west branch, Birch Run. Chambers Lake is a wonderful location for boating and fishing. The attached progress print is a concept sketch plan prepared by Regester Associates, Inc. dated November 24, 2024. To date, no subdivision plan has been proposed and/or submitted to West Caln Township for review and/or potential approval. This ...
Potential residential subdivision. Three (3) vacant land parcels totaling 50+/- acres located in West Caln Township, Chester County, PA. are being offered as a package. Attention all builders, land developers and investors. Seller may consider an Agreement of Sale contingent on subdivision approval (at Buyer's expense). Properties are located in proximity to Hibernia County Park. Hibernia County Park consists of over 900 acres of trails, woodlands, meadows, open fields, play areas, pavilions and picnic areas. Popular fishing sites include the Brandywine Creek's west branch, Birch Run. Chambers Lake is a wonderful location for boating and fishing. The attached progress print is a concept sketch plan prepared by Regester Associates, Inc. dated November 24, 2024. To date, no subdivision plan has been proposed and/or submitted to West Caln Township for review and/or potential approval. This concept sketch plan is based on the West Caln Township Site Responsive Residential (SRR) District which permits smaller lots (smaller than 4 acres), provided, 60% of the acreage is designated as open space. Please see the attached West Caln Township zoning map and Article V, SRR - Site Responsive Residential District information. No due diligence has been performed by the Seller and/or their representatives relating to the availability of public water, public sewer and/or on-site septic or well water. The Sellers, Brokers and Agents make no representations as any potential/future subdivision and/or their related approvals for the properties by any governmental authorities; and/or the potential lot yield which may or may not be obtained through a proposed subdivision approval process. All information provided herein and other documents referenced as attachments are subject to errors and omissions. Please verify the accuracy of all data with the county, municipality and/or any other applicable governmental authority.
Copyright © 2025 Bright MLS. All rights reserved. All information provided by the listing agent/broker is deemed reliable but is not guaranteed and should be independently verified.
Search for detailed parcel information including; Elevation & Vegetation Maps, Ownership Information, Detailed Parcel Information, Crop History Map, Soil Survey Productivity Data, and more.
Research Parcel InformationIs this your property? Sell it faster with premium placement and targeted ads.