Is this your property? Sell it faster with premium placement and targeted ads.
NOW PRE-SELLING: Deerlawn Development is Winchester, Ky's most anticipated residential development-an ambitious 274+-acre expansion formerly known as the well-established Royal Oaks/Plantation neighborhoods. Located at 2395 Paris Road, and positioned off I-64 at Exit 96 across from the rapidly expanding Industrial Park, Deerlawn is a master-planned community offering 438 single-family homes, and additional acreage available for 8 duplexes and 48 townhomes, meeting the region's demand for quality and attainable housing. Phase One is Under Construction Now! 13 buildable lots expected completion by November 2025. Approved development plan in place with Clark County. Additional Phases continuously following with additional buildable lots. Located within 20 miles to Lexington's Hamburg area, Deerlawn sits at the center of Clark County's growth corridor. With $100M in infrastructure improvemen...
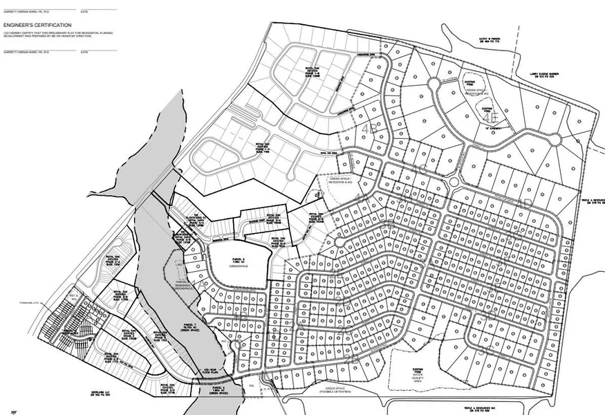
NOW PRE-SELLING: Deerlawn Development is Winchester, Ky's most anticipated residential development-an ambitious 274+-acre expansion formerly known as the well-established Royal Oaks/Plantation neighborhoods. Located at 2395 Paris Road, and positioned off I-64 at Exit 96 across from the rapidly expanding Industrial Park, Deerlawn is a master-planned community offering 438 single-family homes, and additional acreage available for 8 duplexes and 48 townhomes, meeting the region's demand for quality and attainable housing. Phase One is Under Construction Now! 13 buildable lots expected completion by November 2025. Approved development plan in place with Clark County. Additional Phases continuously following with additional buildable lots. Located within 20 miles to Lexington's Hamburg area, Deerlawn sits at the center of Clark County's growth corridor. With $100M in infrastructure improvements completed and the EPA Consent Decree lifted in 2024, the path is clear for accelerated residential and economic expansion. For lot pricing, development plan and more information contact listing agent only.
Copyright © 2026 ImagineMLS. All rights reserved. All information provided by the listing agent/broker is deemed reliable but is not guaranteed and should be independently verified.
Search for detailed parcel information including; Elevation & Vegetation Maps, Ownership Information, Detailed Parcel Information, Crop History Map, Soil Survey Productivity Data, and more.
Research Parcel InformationIs this your property? Sell it faster with premium placement and targeted ads.