Sign up
Log in
Results
View all 1 pictures
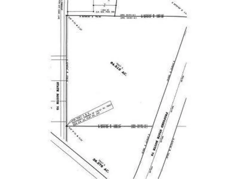
Size: 64.51 Acres

Progress Way

64.513 acres zoned Agriculture.

From elevation to risk assessment

Search for detailed parcel information including; Elevation & Vegetation Maps, Ownership Information, Detailed Parcel Information, Crop History Map, Soil Survey Productivity Data, and more.

Research Parcel Information

Environmental Factors

Flood Factor ™
/ 10
Fire Factor ™
/ 10
Heat Factor ™
/ 10
Wind Factor ™
/ 10
Source:First Street

Resources

Links
Property Website
Contact Seller

Coldwell Banker Heritage

Wilmington, OH

(937) 507-6993

Provided By

Coldwell Banker Heritage, (937) 507-6993
Source: MLS# 1023227
Listing last updated: February 5, 2022 at 4:41 AM
Report this listing

More by Jeffrey F Bennett