Is this your property? Sell it faster with premium placement and targeted ads.
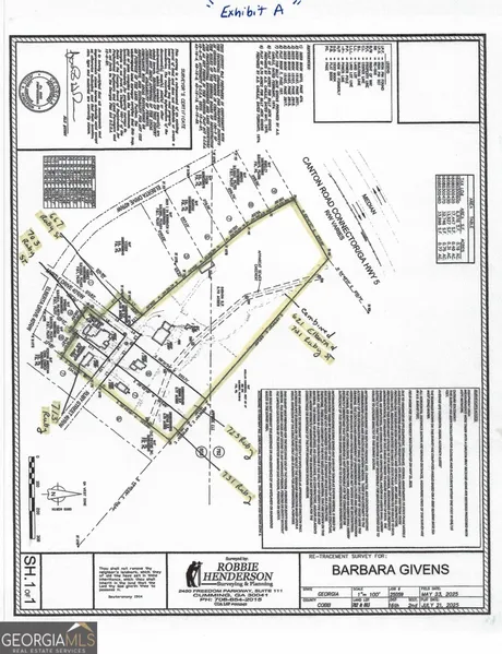
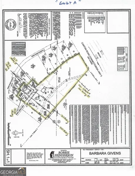
Rare East Cobb Assemblage! This unique opportunity includes 7 contiguous parcels totaling approximately 8.06 acres just off the Canton Road Connector in Marietta. Currently zoned R-30 with 5 existing homes (1930s-1950s), the property offers strong potential for redevelopment as residential or commercial. Large tracts of this scale are exceptionally scarce in East Cobb, making this a truly rare find. With direct access to Canton Road Connector, Highway 5, I-75, and I-575, the property enjoys a prime location surrounded by residential neighborhoods, light industrial facilities, office parks, and retail. Investors, builders, and developers will appreciate the flexibility of the site: whether for residential subdivision, RA-5 townhome community, or higher density RM-8/RM-12 apartments with rezoning, or even commercial and light industrial development. Proximity to Town Center Mall, Wellstar ...
Rare East Cobb Assemblage! This unique opportunity includes 7 contiguous parcels totaling approximately 8.06 acres just off the Canton Road Connector in Marietta. Currently zoned R-30 with 5 existing homes (1930s-1950s), the property offers strong potential for redevelopment as residential or commercial. Large tracts of this scale are exceptionally scarce in East Cobb, making this a truly rare find. With direct access to Canton Road Connector, Highway 5, I-75, and I-575, the property enjoys a prime location surrounded by residential neighborhoods, light industrial facilities, office parks, and retail. Investors, builders, and developers will appreciate the flexibility of the site: whether for residential subdivision, RA-5 townhome community, or higher density RM-8/RM-12 apartments with rezoning, or even commercial and light industrial development. Proximity to Town Center Mall, Wellstar Kennestone Hospital, and major employment and retail nodes makes this an ideal site for future growth. Whether you are an investor seeking long-term upside, a builder ready to create a new community, or a commercial developer envisioning retail, office, medical, or mixed-use, this tract offers limitless potential. This assemblage represents one of the few remaining opportunities to secure large contiguous acreage in a high-demand East Cobb corridor.
Copyright © 2025 Georgia Multiple Listing Service. All rights reserved. All information provided by the listing agent/broker is deemed reliable but is not guaranteed and should be independently verified.
Search for detailed parcel information including; Elevation & Vegetation Maps, Ownership Information, Detailed Parcel Information, Crop History Map, Soil Survey Productivity Data, and more.
Research Parcel InformationIs this your property? Sell it faster with premium placement and targeted ads.