Three separate listings. 5 total lots per listing.
17-21 Willow Street Parcels: 19-10-05-22-4-001-039.000, 19-10-05-22-4-001-040.000, 19-10-05-22-4-001-043.000, 19-10-05-22-4-001-044.000, & 19-10-05-22-4-001-047.000. Lot dimensions are of the five lots combined. Utilities may be accessible from the street if buyers wish to have them ran (Alabama Power & Septic). 5 lots, but the health department requires 2.5 lots to build on. NO mobile homes or travel trailers, but YES to modular homes. Need a total dimension of 125x150 to build a home.
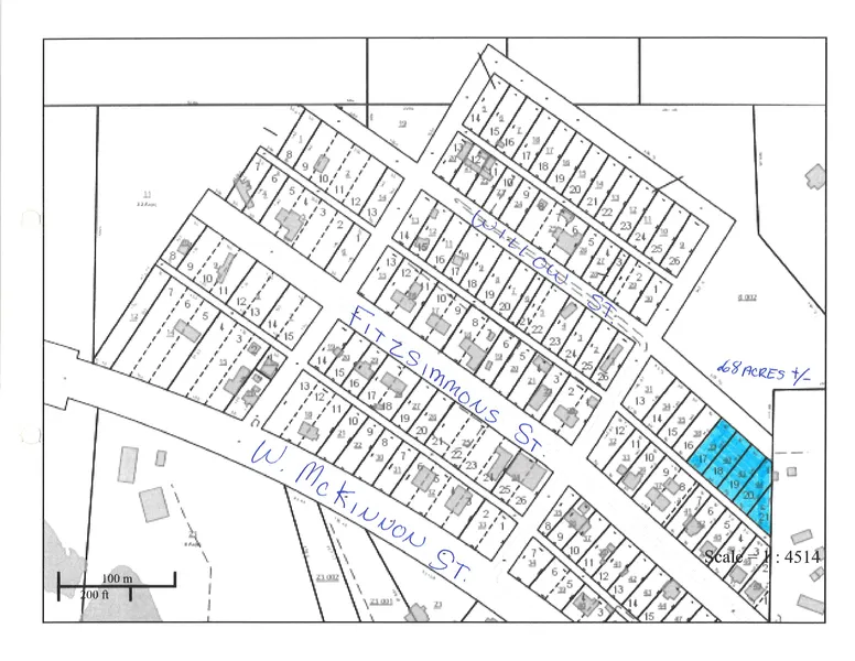
Lots 17-21 Franklin Street Parcels: 19-10-05-22-4-001-018.000, 19-10-05-22-4-001-017.000, 19-10-05-22-4-001-016.000, 19-10-05-22-4-001-015.000, & 19-10-05-22-4-001-014.000. Lot dimensions are of the five lots combined. Utilities may be accessible from the street if buyers wish to have them ran (Alabama Power & Septic). 5 lots, but the health departmen...
Lots 17-21 Franklin Street Parcels: 19-10-05-22-4-001-018.000, 19-10-05-22-4-001-017.000, 19-10-05-22-4-001-016.000, 19-10-05-22-4-001-015.000, & 19-10-05-22-4-001-014.000. Lot dimensions are of the five lots combined. Utilities may be accessible from the street if buyers wish to have them ran (Alabama Power & Septic). 5 lots, but the health department requires 2.5 lots to build on. NO mobile homes or travel trailers, but YES to modular homes. Need a total dimension of 125x150 to build a home.
Lots 22-26 Franklin Street Parcels: 19-10-05-22-4-001-013.000, 19-10-05-22-4-001-012.000, 19-10-05-22-4-001-011.000, 19-10-05-22-4-001-010.000, & 19-10-05-22-4-001-009.000. Lot dimensions are of the five lots combined. Utilities may be accessible from the street if buyers wish to have them ran (Alabama Power & Septic). 5 lots, but the health department requires 2.5 lots to build on. NO mobile homes or travel trailers, but YES to modular homes. Need a total dimension of 125x150 to build a home.
Search for detailed parcel information including; Elevation & Vegetation Maps, Ownership Information, Detailed Parcel Information, Crop History Map, Soil Survey Productivity Data, and more.
Research Parcel InformationFor Lots 17-26 Franklin Street: Starting on Highway 84 & Tyler Street. Turn right on Vester Cole Street. Turn left on W. McKinnon Street. Turn right on to Knight Street. Pass Willow Street. Left on Franklin Street. Franklin Street may be undeveloped road.
For 17-21 Willow Street: Starting on Highway 84 & Tyler Street. Head east on Tyler Street. Turn right on Vester Cole and left on W. McKinnon Street. Turn right on Knight Street. Turn right on to Willow Street. Property is on the right.