Is this your property? Sell it faster with premium placement and targeted ads.
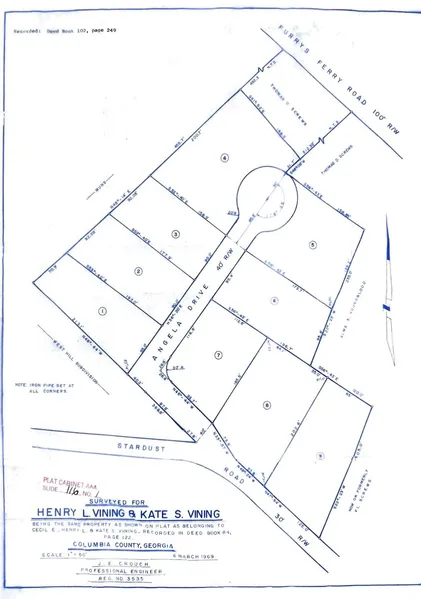
Investor Special in Columbia County! This is for 2 parcels, 204 and 205 Angela Drive. Approx 3 acres of undeveloped land in the heart of Martinez between Furys Ferry and Baston Rd! The plat on file with Columbia County has 6 lots and a cul de sac road on file, and is ready to apply for development (see pics for plat). Sewer and water on property at Stardust and Angela, see photo. This is an amazing opportunity for a developer, investors, or someone looking to build their home, in town, on acreage with no HOA!! Zoned R-3 (7500 sqft lots). Being sold as-is. Enter the property from Angela Dr. off of Stardust only. As a courtesy please schedule walk through in Showingtime.
Copyright © 2026 HIVE MLS. All rights reserved. All information provided by the listing agent/broker is deemed reliable but is not guaranteed and should be independently verified.
Read MoreSearch for detailed parcel information including; Elevation & Vegetation Maps, Ownership Information, Detailed Parcel Information, Crop History Map, Soil Survey Productivity Data, and more.
Research Parcel InformationIs this your property? Sell it faster with premium placement and targeted ads.