Sign up
Log in
Results
View all 48 pictures

80 Acres in Bluejacket, OK - $569,000

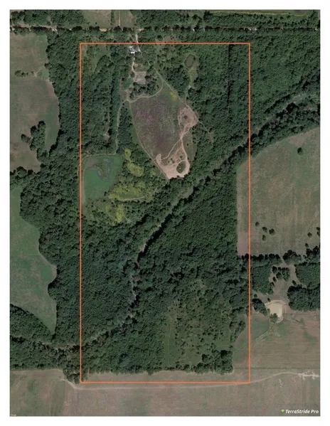
This 80 acre property is located in Craig County in NE Oklahoma just three miles west of I-44. LIVE WATER!! Little Cabin Creek runs right through the center of the property and provides year round water as well as bass, crappie, perch and other small fish species. There is a two acre marsh known to attract ducks and geese and a small stock fishing pond. Possum Branch runs along the west side of the property and helps to maintain water levels throughout. Cover crops and food plots have been providing habitats for white tail, turkey, bobcat, and small game. Rural water and electric are on site as well as a home concrete slab for a 2200+ sq ft home. If you are looking for a private, secluded get away, this is it!

From elevation to risk assessment

Search for detailed parcel information including; Elevation & Vegetation Maps, Ownership Information, Detailed Parcel Information, Crop History Map, Soil Survey Productivity Data, and more.

Research Parcel Information

Environmental Factors

Flood Factor ™
/ 10
Fire Factor ™
/ 10
Heat Factor ™
/ 10
Wind Factor ™
/ 10
Source:First Street

Resources

Links
Property Website
Contact Seller
True North Team - Keller Williams

Rogers, AR

(479) 601-1317

Provided By

True North Team - Keller Williams, (479) 601-1317
Listing last updated: December 3, 2022 at 6:10 AM
Report this listing

More by True North Team - Keller Williams