Sign up
Log in
Results
View all 6 pictures

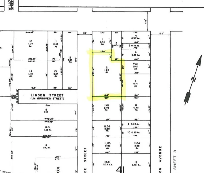
1.25 Acres in Rosenhayn, NJ - $29,995

Get your permits and bring your plans to build your dream home on this beautiful lot. Plenty of room here 1.25 acres to build your home. This lot is very flat and almost 100% cleared. It is also situated on a very nice quiet street in Deerfield Twp. Don't let this one get away.

From elevation to risk assessment

Search for detailed parcel information including; Elevation & Vegetation Maps, Ownership Information, Detailed Parcel Information, Crop History Map, Soil Survey Productivity Data, and more.

Research Parcel Information
Contact Seller

Reilly Realtors

Berlin, NJ

(856) 767-1776