Sign up
Log in
Results
View all 1 pictures

Grab this Up

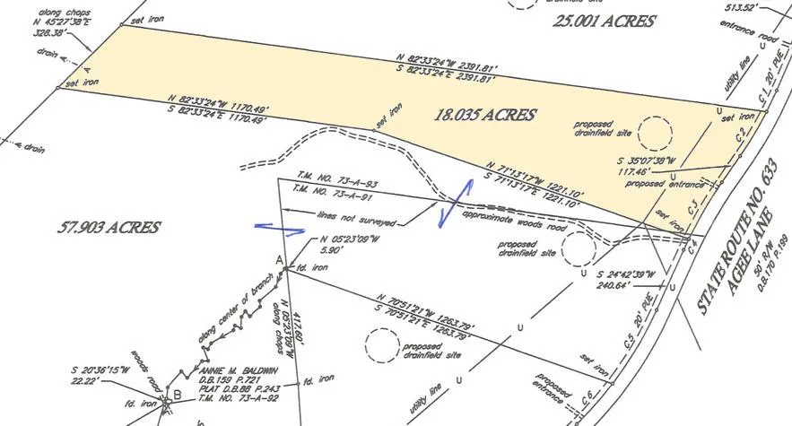
18.035 acres of wooded land waiting for you to grab up. This tract has good road frontage, utility line, and a gently rolling topography. A great hunting, recreation or place for your home sweet home.

From elevation to risk assessment

Search for detailed parcel information including; Elevation & Vegetation Maps, Ownership Information, Detailed Parcel Information, Crop History Map, Soil Survey Productivity Data, and more.

Research Parcel Information

Directions

45N to right on Agee Lane, follow to property on the right.

Resources

Links
Property Website
Contact Seller
State Wide Realty Co.

Farmville, VA

(434) 208-1871

Provided By

State Wide Realty Co., (434) 208-1871
Listing last updated: February 6, 2022 at 7:36 PM
Report this listing