Sign up
Log in
Results
View all 11 pictures

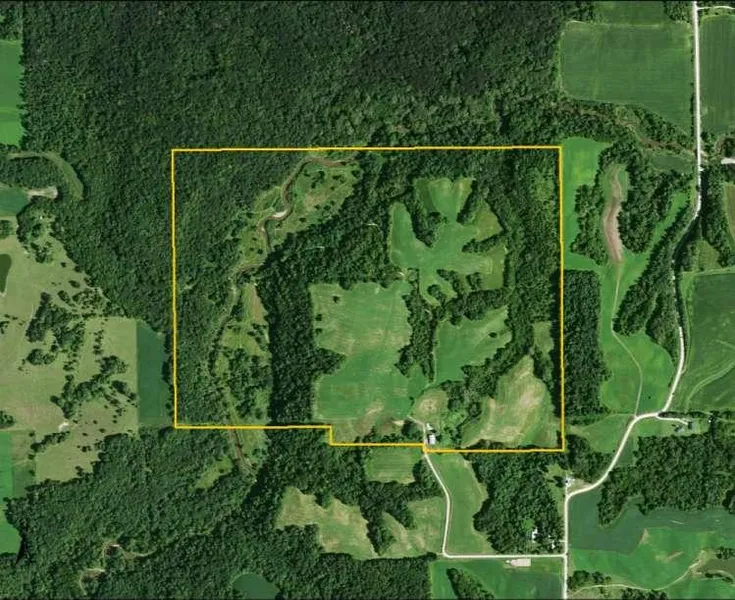
Delaware Co., IA - 238 Ac. (010-1644-1)

Attractive Recreational Property in Delaware County!

238 acres, m/l, with an estimated 68.1 crop acres. Farm is not enrolled in the government program currently.

This is one of the most attractive recreational properties in Delaware County consisting of a variety of mature oak, walnut, hickory and other hardwood trees. Plum Creek, a clear, spring-fed creek, crosses through the western portion of the farm.

There are over 10 miles of groomed trails for 4-wheeling, walking or snowmobiling. Abundance of deer, turkey and fish located in and around this property.

Building Description(s)

There is a 42' x 80' Lester shop that was built in 2007. Building includes a 3/4 bath, kitchen and wood burning fireplace with gas starter. Shop is entirely insulated and heated with 16' side walls and four overhead doors. There is a large concrete pad north of the shop used as a staging area for camper...

Read More

From elevation to risk assessment

Search for detailed parcel information including; Elevation & Vegetation Maps, Ownership Information, Detailed Parcel Information, Crop History Map, Soil Survey Productivity Data, and more.

Research Parcel Information

Directions

From Hopkinton - Heading north on Hwy 38: Turn right on NE Culver Road, (follow Culver Road, eventually turns left into 285th Avenue) 1 miles north on 285th Avenue and mile west on 285th Street.

Environmental Factors

Flood Factor ™
/ 10
Fire Factor ™
/ 10
Heat Factor ™
/ 10
Wind Factor ™
/ 10
Source:First Street

Resources

Contact Seller
Hertz Real Estate Services

License #doug.hensley@hertz.ag

Nevada, IA

(309) 326-7672

Provided By

Hertz Real Estate Services, (309) 326-7672
Listing last updated: February 4, 2022 at 1:28 PM
Report this listing

More by Hertz Real Estate Services