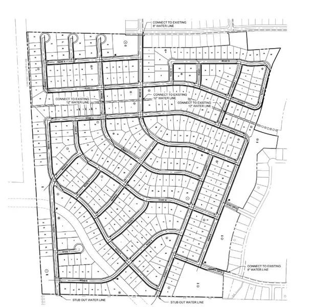
416 platted lots ready to be developed. This is Phase 2 of a larger development and consist of (416) 60' paper lots on 119 acres. Seller as submitted the plat to the city for approval. parcels are already zoned SF-10, single family 60' lots. Seller will follow through with platting with the city, new buyer will need to perform engineering and take the project to completion. City of Sanger states they have sewer capacity and is open to a PID by the new developer. Attached is the preliminary plat current being reviewed at the city, plat application and checklist submitted to city. pricing is based on $18,000 per paper lot. Seller is available to answer any questions once buyers received due diligence documents. Impression Homes is building in the brand-new phase to the north of this. There is an additional 202 acre to the north that is available known as Phase 3. The collector road as indi...
416 platted lots ready to be developed. This is Phase 2 of a larger development and consist of (416) 60' paper lots on 119 acres. Seller as submitted the plat to the city for approval. parcels are already zoned SF-10, single family 60' lots. Seller will follow through with platting with the city, new buyer will need to perform engineering and take the project to completion. City of Sanger states they have sewer capacity and is open to a PID by the new developer. Attached is the preliminary plat current being reviewed at the city, plat application and checklist submitted to city. pricing is based on $18,000 per paper lot. Seller is available to answer any questions once buyers received due diligence documents. Impression Homes is building in the brand-new phase to the north of this. There is an additional 202 acre to the north that is available known as Phase 3. The collector road as indicated on some of the concepts has been removed. Zoning is in place.
Search for detailed parcel information including; Elevation & Vegetation Maps, Ownership Information, Detailed Parcel Information, Crop History Map, Soil Survey Productivity Data, and more.
Research Parcel Information