Sign up
Log in
Results
View all 10 pictures

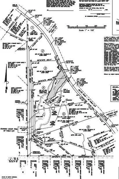
17 Acre 6 Lot Development - Durham

Located within 6 miles of Downtown Durham is a 17+ acre parcel with excellent development opportunity at an exceptional value. Much of the due diligence has already been completed such as a concept 6 lot plat submittal, soil study, delineations, and survey. A Durham County water line runs adjacent with electrical and fiber internet available on site. The property has over 1,500 feet of paved road frontage along Milton Road combined with flat topography and a fine stand of mature timber, making this offering second to none. Just 13 minutes to I-85, 15 minutes to Duke Hospital, and 25 minutes to RTP. This property makes for a brilliant investment acquisition.

From elevation to risk assessment

Search for detailed parcel information including; Elevation & Vegetation Maps, Ownership Information, Detailed Parcel Information, Crop History Map, Soil Survey Productivity Data, and more.

Research Parcel Information

Directions

From I-85 south in Durham, take exit 175 onto Guess Road. Head north for 6.4 miles, turn right onto Milton Road. Property is on 1/2 miles on the right.

Resources

Links
Virtual Tour
Property Website
Contact Seller
National Land Realty

Apex, NC

(336) 583-5370

Provided By

National Land Realty, (336) 583-5370
Listing last updated: February 6, 2022 at 3:10 AM
Report this listing