Sign up
Log in
Results
View all 1 pictures

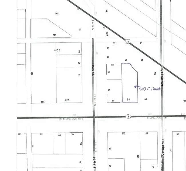
0.15 Acres in Goshen, IN - $12,000

Vacant building lot close to downtown stores and restaurants and near city walking and biking trails. Zoned R1 and non-conforming because of square footage and frontage. Developmental variances likely to be required but the city is generally supportive of this kind of in-fill development. New connections for water and sewer as well as new tap fees will be required. Contact Goshen City Planning with questions about variances and requirements. Taxes shown are from prior to Feb 2019 when the property burned and was subsequently demolished. New assessed value will begin for 2020 pay 2021.

From elevation to risk assessment

Search for detailed parcel information including; Elevation & Vegetation Maps, Ownership Information, Detailed Parcel Information, Crop History Map, Soil Survey Productivity Data, and more.

Research Parcel Information

Environmental Factors

Flood Factor ™
/ 10
Fire Factor ™
/ 10
Heat Factor ™
/ 10
Wind Factor ™
/ 10
Source:First Street
Contact Seller

Coldwell Banker Real Estate Group

Goshen, IN

(574) 522-2822

Provided By

Coldwell Banker Real Estate Group, (574) 522-2822
Source: Coldwell Banker, MLS# 202013344
Listing last updated: February 6, 2022 at 4:37 AM
Listing last checked: December 1, 2025 at 9:31 AM
Report this listing

Other Land for Sale in Elkhart County