Sign up
Log in
Results
View all 1 pictures
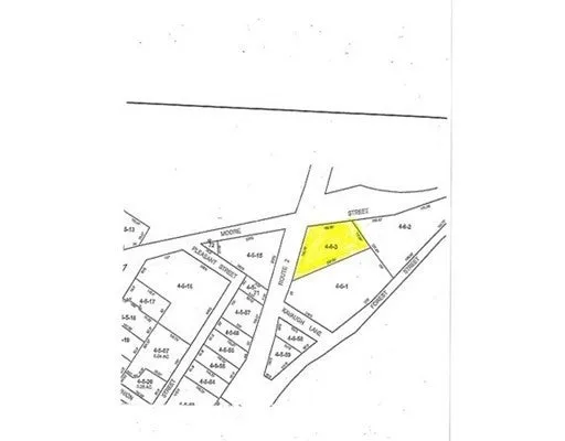
Size: 0.71 Acres

0.71 Acres in Erving, MA - $69,500

Zoned Central Village, this lot is open to many uses. See Erving By-Laws. Conveniently located and ready for you to build.

From elevation to risk assessment

Search for detailed parcel information including; Elevation & Vegetation Maps, Ownership Information, Detailed Parcel Information, Crop History Map, Soil Survey Productivity Data, and more.

Research Parcel Information
Contact Seller

Cohn & Company ERA Powered

Greenfield, MA

(413) 522-5559

Provided By

Cohn & Company ERA Powered, (413) 522-5559
Source: ERA Real Estate, MLS# 72888627
Listing last updated: June 30, 2022 at 5:55 AM
Listing last checked: October 10, 2025 at 5:31 AM
Report this listing

Other Land for Sale in Franklin County