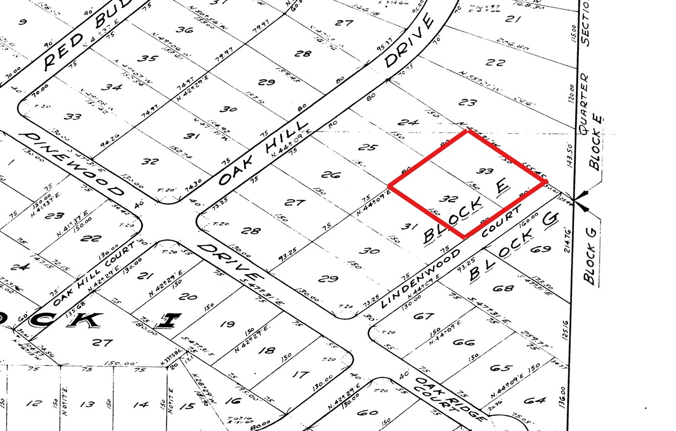
APN - 2010103002116000 Lot 32 & 33
Affordability, accessibility, and long-term value all in one lot? This 0.56-acre double lot in Catawissa, Missouri, checks all the boxes. Just a minute from Highway NN its easy to reach yet tucked back on a quiet country road.
Power is nearby so its easy to hook in, water lines are in place and .PERC test has been completed and will be given to the new owner, this will save you time AND money when you are ready to build!
Want MORE property. Good news. an additional 2 lots adjoining this property are available too! You can have a total of 2.62 acres!
Two Lots (or 4!) Together More flexibility for building, resale, or holding as a long-term investment.
Utilities Accessible Power available nearby at 3846 Oak Hill Dr & City Water. Septic already perc-tested, saving you time and costs when ready to build.
Solid Zoning Single-Family Residential zoning under the...
Solid Zoning Single-Family Residential zoning under the City and Village Tax Office HOA helps preserve neighborhood value. Homes must be 1,800+ sq ft, keeping the area desirable.
No Overbuilding The HOA ensures no mobile homes, tents, or temporary living setups, which protects property values.
Location Under an hour from St. Louis, making it an attractive option for commuters, families, or buyers looking for quiet living within reach of the city.
Property Highlights
0.56 acres made up of 2 combined lots (4 lots available!)
Wooded with gentle slope, easy to clear for a build
Dirt road access, less than a minute to pavement
Perc test already complete
Cell signal works on-site (2 bars during visit)
HOA keeps neighborhood clean and consistent
HOA & Zoning
This property is in a Single-Family Residential area under the City and Village Tax Office HOA.
Minimum home size: 1,800 sq ft
Setbacks: 25 ft front, 10 ft sides, 20 ft rear
Height limit: 35 ft
No mobile homes, RV living, or camping (tents, trailers, and temporary shelters not allowed)
Pets: Cats, dogs, small birds, or fish are welcome; no poultry, livestock, or breeding setups
Community rules: No loud noise, junk, or abandoned vehicles. Yards should be maintained. Construction must be finished within 12 months once started.
Signs & fences: Only HOA-approved For Sale or For Rent signs allowed. Street-facing chain-link fences are often restricted.
The HOA mainly helps keep the neighborhood clean, quiet, and attractive, so its a great fit if youre planning a family home and want a well-kept community.
Nearby Towns & Family Spots
Catawissa 7 minutes for gas and groceries
Robertsville State Park 12 minutes for family hiking, fishing, and picnics
Pacific, MO 10 minutes for shopping and dining
St. Clair 25 minutes for schools, hospitals, and bigger stores
5??St. Louis Less than 1 hour for work commutes, sports games, and family outings
PRICING:
Discount Cash Price: $14,999 + $399 document fee, or alternatively
Owner Financing Price: $15,999 with $4,800 down ($399 doc fee + $4,401 in equity)
Payment as low as $255/mo! NO prepayment penalties.
We are a small family business and can be flexible. Were happy to fit any budget that meets our minimums. Our owner, Dave Denniston, enjoys making land ownership available to families like yours who want to make memories for years to come. We can owner-finance with a land contract. We can transfer with a warranty deed and guarantee a clean title.
Search for detailed parcel information including; Elevation & Vegetation Maps, Ownership Information, Detailed Parcel Information, Crop History Map, Soil Survey Productivity Data, and more.
Research Parcel Information