Sign up
Log in
Results
View all 9 pictures

1.61 Acres in Broadalbin, NY - $35,000

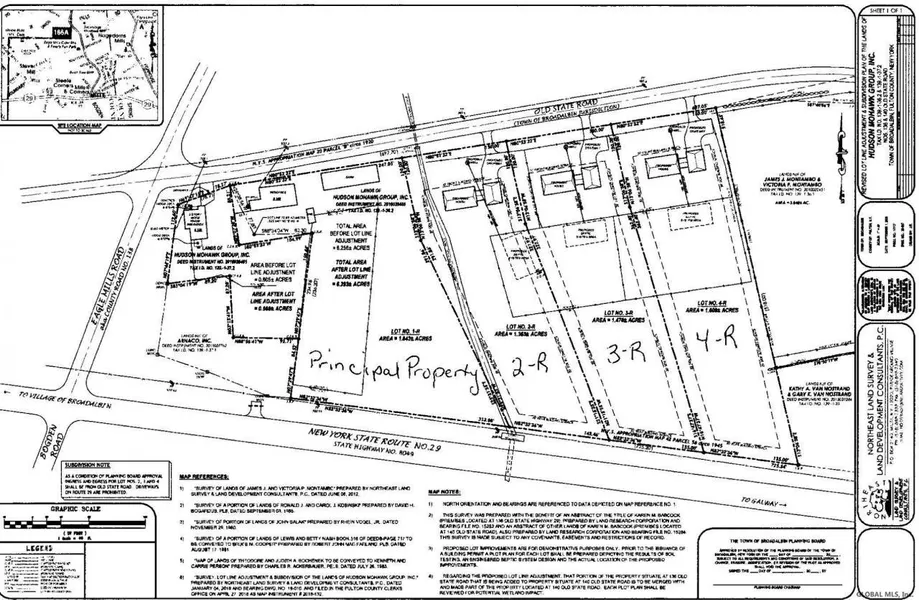
Surveyed and Approved - Residential Building Lot Located- in the Broadalbin-Perth School District. This Property is surrounded by graceful, rural lands, close to shopping, the Adirondack Park, the Great Sacandaga Lake and seller financing to qualified buyers is available upon request. See survey and aerial map - Vacant Building Lot 4-R.Note: If anyone chooses to purchase two adjoining lots, or all 3 at once, make a bundled offer at a price acceptable to you, and the seller will be happy to consider a discounted bundle, while ''your building lot'' gains substantial space and elbow room, not to mention the exceptional added value to your overall purchase!

From elevation to risk assessment

Search for detailed parcel information including; Elevation & Vegetation Maps, Ownership Information, Detailed Parcel Information, Crop History Map, Soil Survey Productivity Data, and more.

Research Parcel Information
Contact Seller

Coldwell Banker Prime Properties

Johnstown, NY

(518) 762-9885

Provided By

Coldwell Banker Prime Properties, (518) 762-9885
Source: Coldwell Banker, MLS# 202230287
Listing last updated: November 12, 2023 at 3:29 AM
Listing last checked: December 1, 2025 at 9:31 AM
Report this listing

Other Land for Sale in Fulton County